Log In/Sign Up
Your email has been sent.
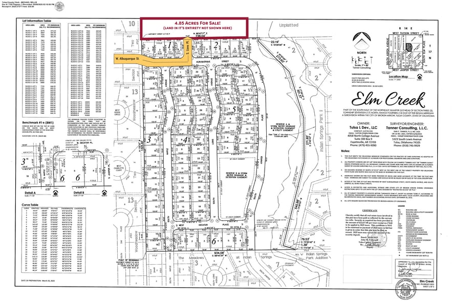
S 121st Street West of Elm - Builder Opportunity | 4.85 Acres Land 4.85 Acres of Residential Land Offered at $763,281 CAD in Broken Arrow, OK 74011



Investment Highlights
- Strong retail corridor supporting residential growth
- Ideal size for small builder project (12–20 lots conceptual)
- Utilities available
- Minutes from major national retailers and dining
- End-of-street layout potential (cul-de-sac)
- Adjacent to Elm Creek residential development
Executive Summary
Builder Opportunity | 4.85 Acres Near Major Retail Corridor | Broken Arrow
±4.85 acres of residential-zoned land ideally positioned for builders in a high-growth corridor of South Broken Arrow.
Located at the end of Lions St. between 121st and 131st near Elm & Aspen, this property offers a prime opportunity for a small subdivision or spec home development in an area supported by strong retail and residential growth.
The site is adjacent to the Elm Creek development, providing immediate validation of demand, pricing, and absorption. Utilities are available, helping reduce development timelines and upfront costs.
The property is located just minutes from major national retailers including Walmart, Home Depot, Aldi, Starbucks, CVS, Hobby Lobby, Wingstop, and a Regal Cinemas location—providing everyday convenience and lifestyle amenities that today’s homebuyers prioritize.
Additionally, the site is near Indian Springs Country Club, further enhancing long-term home value and marketability.
Builder Highlights:
• ±4.85 Acres
• Residential zoning
• Utilities available
• Adjacent to Elm Creek development
• Minutes from major national retailers & dining
• Ideal for 12–20 lot subdivision (conceptual)
• Strong buyer demand drivers in immediate area
±4.85 acres of residential-zoned land ideally positioned for builders in a high-growth corridor of South Broken Arrow.
Located at the end of Lions St. between 121st and 131st near Elm & Aspen, this property offers a prime opportunity for a small subdivision or spec home development in an area supported by strong retail and residential growth.
The site is adjacent to the Elm Creek development, providing immediate validation of demand, pricing, and absorption. Utilities are available, helping reduce development timelines and upfront costs.
The property is located just minutes from major national retailers including Walmart, Home Depot, Aldi, Starbucks, CVS, Hobby Lobby, Wingstop, and a Regal Cinemas location—providing everyday convenience and lifestyle amenities that today’s homebuyers prioritize.
Additionally, the site is near Indian Springs Country Club, further enhancing long-term home value and marketability.
Builder Highlights:
• ±4.85 Acres
• Residential zoning
• Utilities available
• Adjacent to Elm Creek development
• Minutes from major national retailers & dining
• Ideal for 12–20 lot subdivision (conceptual)
• Strong buyer demand drivers in immediate area
Property Facts
| Price | $763,281 CAD | Property Subtype | Residential |
| Sale Type | Investment | Proposed Use | |
| No. Lots | 1 | Total Lot Size | 4.85 AC |
| Property Type | Land | ||
| Zoning | Residential - Residential Land | ||
| Price | $763,281 CAD |
| Sale Type | Investment |
| No. Lots | 1 |
| Property Type | Land |
| Property Subtype | Residential |
| Proposed Use | |
| Total Lot Size | 4.85 AC |
| Zoning | Residential - Residential Land |
1 Lot Available
Lot
| Price | $763,281 CAD | Lot Size | 4.85 AC |
| Price Per AC | $157,377.50 CAD |
| Price | $763,281 CAD |
| Price Per AC | $157,377.50 CAD |
| Lot Size | 4.85 AC |
Directions to Land: From Tucson (121st), turn onto S. Oak Ave., then turn onto W. Albuquerque St., then S. Lions Place.
Description
Land in an easy and quiet area in South Broken area ready for development!
Somewhat walkable
30/100
Very drivable
80/100
Fairly bikeable
40/100
Property Taxes
| Parcel Number | 97403-74-03-27710 | Improvements Assessment | $0 CAD |
| Land Assessment | $5,254 CAD | Total Assessment | $5,254 CAD |
Property Taxes
Parcel Number
97403-74-03-27710
Land Assessment
$5,254 CAD
Improvements Assessment
$0 CAD
Total Assessment
$5,254 CAD
1 of 5
Videos
Matterport 3D Exterior
Matterport 3D Tour
Photos
Street View
Street
Map
Presented by
S 121st Street West of Elm - Builder Opportunity | 4.85 Acres Land
Already a member? Log In
Hmm, there seems to have been an error sending your message. Please try again.
Thanks! Your message was sent.

