Log In/Sign Up
Your email has been sent.
Executive Summary
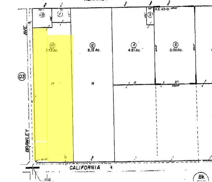
Property located in the City of Fresno Sphere of Influence
NEC Brawley & California Aves.
Fresno, California
NEC Brawley & California Aves.
Fresno, California
Property Facts
| Sale Type | Investment | Proposed Use | |
| No. Lots | 1 | Total Lot Size | 7.32 AC |
| Property Type | Land | Opportunity Zone |
Yes
|
| Property Subtype | Industrial | ||
| Zoning | AE20 - Agricultural Exclusive | ||
| Sale Type | Investment |
| No. Lots | 1 |
| Property Type | Land |
| Property Subtype | Industrial |
| Proposed Use | |
| Total Lot Size | 7.32 AC |
| Opportunity Zone |
Yes |
| Zoning | AE20 - Agricultural Exclusive |
1 Lot Available
Lot
| Lot Size | 7.32 AC |
| Lot Size | 7.32 AC |
Description
• Site has excellent street visibility • In close proximity to Freeways 99 and 180 and Downtown Fresno
1 1
Not walkable
10/100
Exceptionally drivable
100/100
Somewhat bikeable
30/100
Property Taxes
| Parcel Number | 326-220-18 | Improvements Assessment | $0 CAD |
| Land Assessment | $496,774 CAD | Total Assessment | $496,774 CAD |
Property Taxes
Parcel Number
326-220-18
Land Assessment
$496,774 CAD
Improvements Assessment
$0 CAD
Total Assessment
$496,774 CAD
1 of 4
Videos
Matterport 3D Exterior
Matterport 3D Tour
Photos
Street View
Street
Map
1 of 1
Presented by
S Brawley and W California Ave
Already a member? Log In
Hmm, there seems to have been an error sending your message. Please try again.
Thanks! Your message was sent.



