Log In/Sign Up
Your email has been sent.
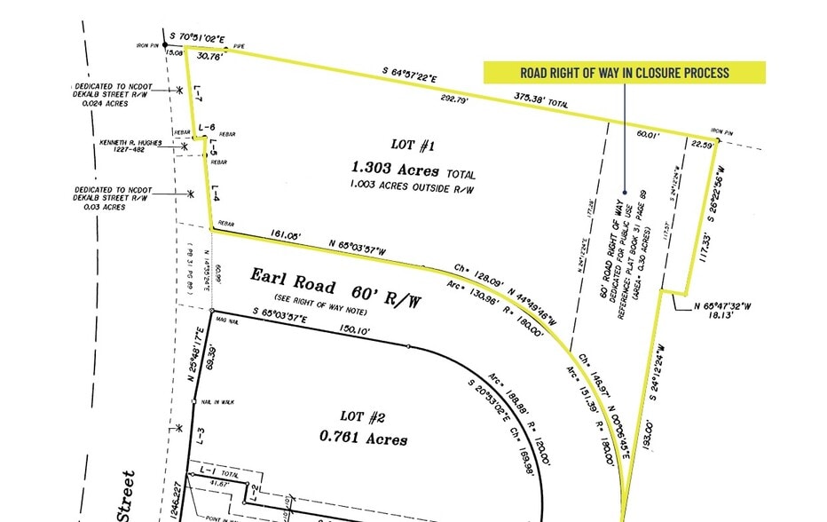
S Dekalb St and Earl Rd - Retail/Commercial/Development Opportunity 1.31 Acres of Commercial Land Offered at $786,887 CAD in Shelby, NC 28150


Investment Highlights
- Excellent Visibility & Access from BUS-74
- Ideal for a multitude of uses
- All utilities on site
Executive Summary
Ideal location for QSR, retail, medical & office.
Property Facts
| Price | $786,887 CAD | Property Subtype | Commercial |
| Sale Type | Investment or Owner User | Proposed Use | |
| No. Lots | 1 | Total Lot Size | 1.31 AC |
| Property Type | Land | Opportunity Zone |
Yes
|
| Zoning | GB - General Business | ||
| Price | $786,887 CAD |
| Sale Type | Investment or Owner User |
| No. Lots | 1 |
| Property Type | Land |
| Property Subtype | Commercial |
| Proposed Use | |
| Total Lot Size | 1.31 AC |
| Opportunity Zone |
Yes |
| Zoning | GB - General Business |
1 Lot Available
Lot
| Price | $786,887 CAD | Lot Size | 1.31 AC |
| Price Per AC | $600,677.48 CAD |
| Price | $786,887 CAD |
| Price Per AC | $600,677.48 CAD |
| Lot Size | 1.31 AC |
Description
Approximately 1.15 acres (subject to final plat upon completion of right-of-way closure) • Excellent Visibility & Convenient Access • Well-suited for multiple development concepts • Shelby Zoning - GB • Cleveland County GIS #60189 • City of Shelby utilities available at site
1 1
Fairly walkable
40/100
Exceptionally drivable
100/100
Somewhat bikeable
20/100
Property Taxes
| Parcel Number | 61089 | Improvements Assessment | $0 CAD |
| Land Assessment | $633,568 CAD | Total Assessment | $633,568 CAD |
Property Taxes
Parcel Number
61089
Land Assessment
$633,568 CAD
Improvements Assessment
$0 CAD
Total Assessment
$633,568 CAD
1 of 3
Videos
Matterport 3D Exterior
Matterport 3D Tour
Photos
Street View
Street
Map
1 of 1
Presented by
S Dekalb St and Earl Rd - Retail/Commercial/Development Opportunity
Already a member? Log In
Hmm, there seems to have been an error sending your message. Please try again.
Thanks! Your message was sent.
