Log In/Sign Up
Your email has been sent.
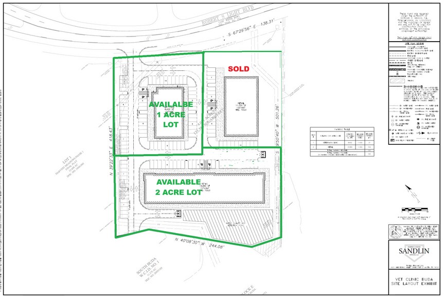
S IH 35 - Buda Professional Park 1.9 Acres of Commercial Land in Buda, TX 78610


Investment Highlights
- Quick access from IH 35
- High visibility from major highway
- Frontage on Robert S Light Blvd.
Property Facts
| Sale Type | Investment or Owner User | Proposed Use | |
| No. Lots | 1 | Total Lot Size | 1.90 AC |
| Property Type | Land | Cross Streets | Robert S Light |
| Property Subtype | Commercial |
| Sale Type | Investment or Owner User |
| No. Lots | 1 |
| Property Type | Land |
| Property Subtype | Commercial |
| Proposed Use | |
| Total Lot Size | 1.90 AC |
| Cross Streets | Robert S Light |
1 Lot Available
Lot
| Lot Size | 1.90 AC |
| Lot Size | 1.90 AC |
2 lots. 1 acre lot and 2 acre lot. Corner of South IH 35 and Robert S Light Blvd. Frontage on Robert S Light Blvd and visibility from S IH 35.
Description
Own or lease your custom facility. Condo space available for sale or lease starting at 1,500 sf and up. Suitable for medical/professional office, retail, restaurant, hotel, entertainment. Quick access from I35.
1 1
Somewhat walkable
20/100
Exceptionally drivable
100/100
Somewhat bikeable
30/100
1 of 3
Videos
Matterport 3D Exterior
Matterport 3D Tour
Photos
Street View
Street
Map
1 of 1
Presented by
S IH 35 - Buda Professional Park
Already a member? Log In
Hmm, there seems to have been an error sending your message. Please try again.
Thanks! Your message was sent.
