Log In/Sign Up
Your email has been sent.
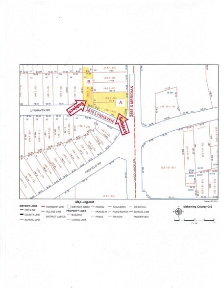
S Meridian Rd 0.66 Acres of Commercial Land in Youngstown, OH 44511


Investment Highlights
- 0.66-acre corner lot at a five-street signalized intersection in Austintown Township.
- High-traffic location serving Boardman, Canfield, Austintown, and Youngstown markets.
- 155 feet of frontage on South Meridian Road and 230+ feet on Lynhaven.
- Nearby Walgreens and planned Sheetz gas station expected to boost traffic flow.
Executive Summary
This commercial corner lot offers a prime development opportunity in Cornersburg, located at the signalized intersection of five streets in Austintown Township. The site spans approximately 0.66 acres across three combined parcels, featuring 155 feet of frontage on South Meridian Road and over 230 feet of frontage on Lynhaven. Zoned for commercial use under codes 400 and 455, the property supports a wide range of retail and service-oriented businesses.
The location benefits from strong traffic counts and visibility, serving four major market areas: Boardman, Canfield, Austintown, and Youngstown. The intersection includes a plaza anchored by Sparkle Market, and nearby developments such as Walgreens and a planned Sheetz gas station are expected to further increase traffic flow and consumer activity.
Ingress and egress are available from both Meridian Road and Lynhaven, providing convenient access for future customers. The property is currently operating as a used car lot but is well-suited for multiple commercial uses, including fast food, urgent care, and other freestanding retail concepts. This site represents a rare opportunity to secure a high-exposure location in a growing corridor with strong demographic support.
The location benefits from strong traffic counts and visibility, serving four major market areas: Boardman, Canfield, Austintown, and Youngstown. The intersection includes a plaza anchored by Sparkle Market, and nearby developments such as Walgreens and a planned Sheetz gas station are expected to further increase traffic flow and consumer activity.
Ingress and egress are available from both Meridian Road and Lynhaven, providing convenient access for future customers. The property is currently operating as a used car lot but is well-suited for multiple commercial uses, including fast food, urgent care, and other freestanding retail concepts. This site represents a rare opportunity to secure a high-exposure location in a growing corridor with strong demographic support.
Property Facts
1 Lot Available
Lot
| Lot Size | 0.66 AC |
| Lot Size | 0.66 AC |
Corner lot across from new Sheetz with high traffic and existing commercial building on site
1 1
Fairly walkable
40/100
Very drivable
80/100
Limited public transit
30/100
Fairly bikeable
40/100
Property Taxes
| Parcel Numbers | Improvements Assessment | $12,760 CAD | |
| Land Assessment | $65,564 CAD | Total Assessment | $78,325 CAD |
Property Taxes
Parcel Numbers
Land Assessment
$65,564 CAD
Improvements Assessment
$12,760 CAD
Total Assessment
$78,325 CAD
1 of 3
Videos
Matterport 3D Exterior
Matterport 3D Tour
Photos
Street View
Street
Map
1 of 1
Presented by
S Meridian Rd
Already a member? Log In
Hmm, there seems to have been an error sending your message. Please try again.
Thanks! Your message was sent.
