Log In/Sign Up
Your email has been sent.
S Randall Rd
Algonquin, IL 60102
Land For Sale
·
0.09 AC

Investment Highlights
- Located on high S Randall Rd minutes from W Algonquin Rd.
- Prime development opportunity.
Executive Summary
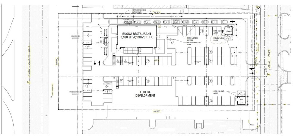
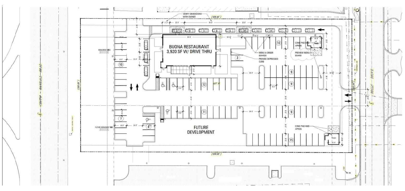
Join Bunoa restaurant with 3,000 SF retail available with 99 parking spaces.
Property Facts
| Sale Type | Investment | Proposed Use | Hold For Development |
| No. Lots | 1 | Total Lot Size | 0.09 AC |
| Property Type | Land | Cross Streets | Huntington Dr N |
| Property Subtype | Commercial |
| Sale Type | Investment |
| No. Lots | 1 |
| Property Type | Land |
| Property Subtype | Commercial |
| Proposed Use | Hold For Development |
| Total Lot Size | 0.09 AC |
| Cross Streets | Huntington Dr N |
1 Lot Available
Lot
| Lot Size | 0.09 AC |
| Lot Size | 0.09 AC |
Join Bunoa restaurant with 3,000 SF retail available with 99 parking spaces.
Description
Owner is a licensed Real Estate Broker in Illinois. Managing Broker - Owner.
Property Taxes
| Parcel Number | 19-29-351-026 | Improvements Assessment | $0 CAD |
| Land Assessment | $139,533 CAD | Total Assessment | $139,533 CAD |
Property Taxes
Parcel Number
19-29-351-026
Land Assessment
$139,533 CAD
Improvements Assessment
$0 CAD
Total Assessment
$139,533 CAD
1 of 2
Videos
Matterport 3D Exterior
Matterport 3D Tour
Photos
Street View
Street
Map
