Log In/Sign Up
Your email has been sent.
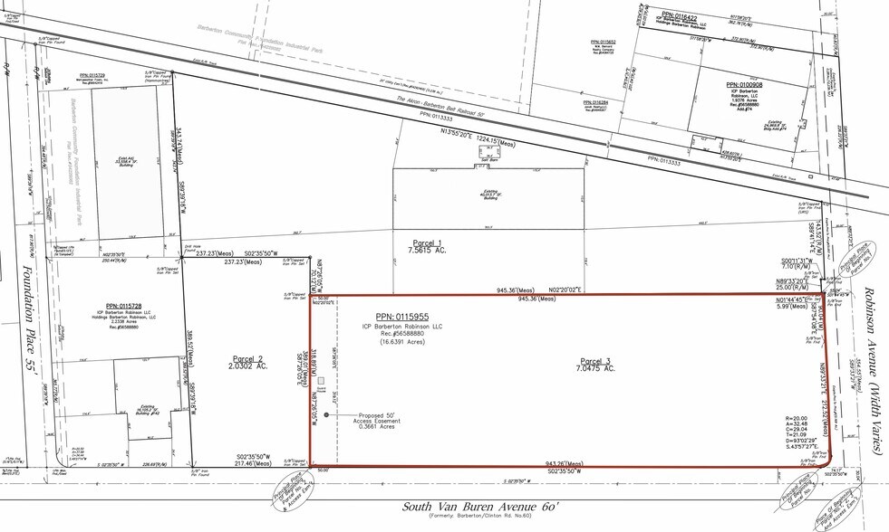
S Van Buren Ave
Barberton, OH 44203
Land For Sale
·
7.00 AC


Property Facts
| Sale Type | Investment | Property Subtype | Commercial |
| No. Lots | 1 | Total Lot Size | 7.00 AC |
| Property Type | Land | Opportunity Zone |
Yes
|
| Zoning | I1 - Industrial/Manufacturing | ||
| Sale Type | Investment |
| No. Lots | 1 |
| Property Type | Land |
| Property Subtype | Commercial |
| Total Lot Size | 7.00 AC |
| Opportunity Zone |
Yes |
| Zoning | I1 - Industrial/Manufacturing |
1 Lot Available
Lot
| Lot Size | 7.00 AC |
| Lot Size | 7.00 AC |
Property Taxes
| Parcel Number | 01-17481 | Improvements Assessment | $0 CAD |
| Land Assessment | $96,922 CAD | Total Assessment | $96,922 CAD |
Property Taxes
Parcel Number
01-17481
Land Assessment
$96,922 CAD
Improvements Assessment
$0 CAD
Total Assessment
$96,922 CAD
1 of 5
Videos
Matterport 3D Exterior
Matterport 3D Tour
Photos
Street View
Street
Map
