Log In/Sign Up
Your email has been sent.
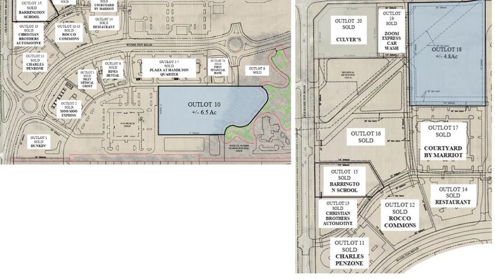
SE Hamilton Rd - Hamilton Rd 4.8 Acres of Commercial Land Offered at $4,273,214 CAD in Columbus, OH 43054



Executive Summary
Hamilton Road development land for sale, commercial zoning (Columbus). All utilities and roadways (public and private) to site. Located adjacent to 330-acre joint venture between The New Albany Company, Casto and The Daimler Group; proposed ±700,000 SF of office and ±1,000,000 SF of retail slated for construction. Big Lots ±320,000 SF headquarters with 800± employees. Target ±125,000 SF store. Ohio State University Wexner Medical Center starting on ±200,000 SF Phase 1 Fall 2019 on its ±31-acre campus. HQ Flats, an 800-unit apartment complex, is close by. Other area development includes Facebook’s complex to reach 1.5 million SF, Google 275,000 SF data center on its 447 acres and Intel's planned $20 billion+ chip manufacturing project.
Property Facts
| Price | $4,273,214 CAD | Property Type | Land |
| Sale Type | Investment | Property Subtype | Commercial |
| No. Lots | 1 | Total Lot Size | 4.80 AC |
| Zoning | CPD - Commercial - Commercial | ||
| Price | $4,273,214 CAD |
| Sale Type | Investment |
| No. Lots | 1 |
| Property Type | Land |
| Property Subtype | Commercial |
| Total Lot Size | 4.80 AC |
| Zoning | CPD - Commercial - Commercial |
1 Lot Available
Lot 18
| Price | $4,273,214 CAD | Lot Size | 4.80 AC |
| Price Per AC | $890,252.98 CAD |
| Price | $4,273,214 CAD |
| Price Per AC | $890,252.98 CAD |
| Lot Size | 4.80 AC |
Lot 18, Retail, 4.8 Acres, $650,000 / Acre, Can be subdivided
1 1
1 of 4
Videos
Matterport 3D Exterior
Matterport 3D Tour
Photos
Street View
Street
Map
1 of 1
Presented by
SE Hamilton Rd - Hamilton Rd
Already a member? Log In
Hmm, there seems to have been an error sending your message. Please try again.
Thanks! Your message was sent.
Your message has been sent!
Activate your LoopNet account now to track properties, get real-time alerts, save time on future inquiries, and more.
