Log In/Sign Up
Your email has been sent.
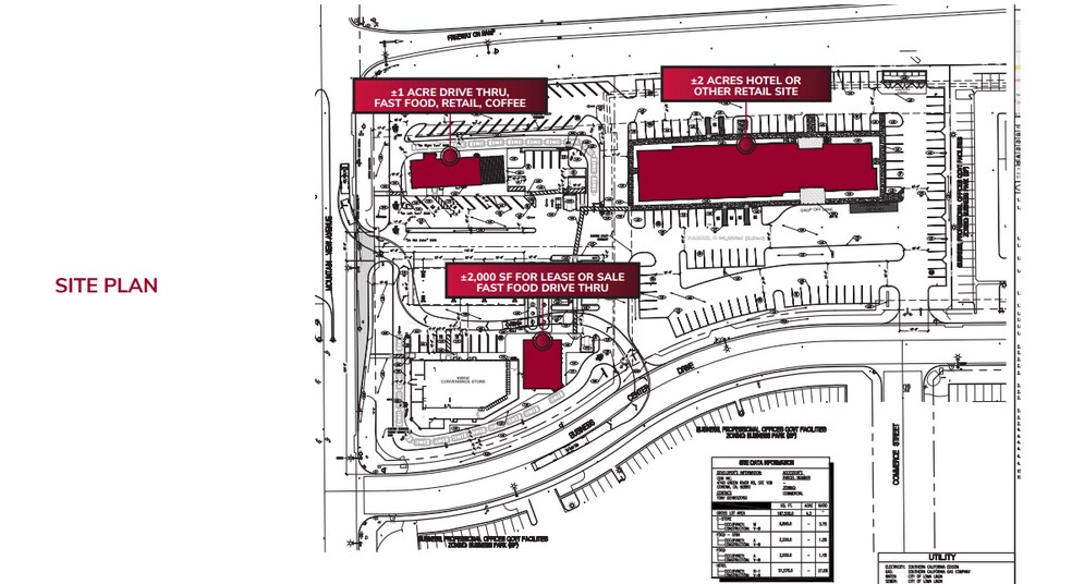
SEC 1-10 & Mountain View Ave
Loma Linda, CA 92354
Corporate Business Center · Land For Lease


Highlights
- Prime Freeway Retail Location
- Freeway Pylon Signage Opportunity
- Strong Demographics & Traffic Counts
- Flexible Development Options
- Mixed-Use Zoning & Utilities Ready
- Ample Parking & Site Features
Property Facts
1 of 3
Videos
Matterport 3D Exterior
Matterport 3D Tour
Photos
Street View
Street
Map
