Your email has been sent.
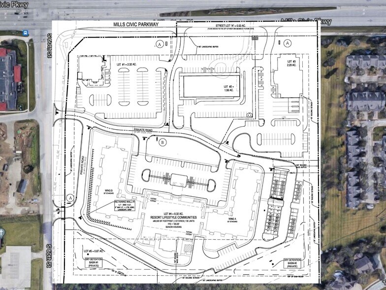
SEC S 60th St & Mills Civic Pkwy - Mills Landing 1.99 - 2.33 Acre Commercial Land Lots in West Des Moines, IA 50266



Investment Highlights
- Traffic Counts: 115,800 VPD (Iowa DOT 2024).
Executive Summary
Property Facts
| Sale Type | Investment | Property Subtype | Commercial |
| No. Lots | 3 | Total Lot Size | 6.52 AC |
| Property Type | Land | ||
| Zoning | PUD - Planned Unit Development. | ||
| Sale Type | Investment |
| No. Lots | 3 |
| Property Type | Land |
| Property Subtype | Commercial |
| Total Lot Size | 6.52 AC |
| Zoning | PUD - Planned Unit Development. |
3 Lots Available
Lot 3
| Lot Size | 2.20 AC |
| Lot Size | 2.20 AC |
Prime Development land with frontage along Mills Civic Parkway. Adjacent to Glen Oaks gated community and soon to be Glen Meadows Retirement Community.
Lot 2
| Lot Size | 1.99 AC |
| Lot Size | 1.99 AC |
Prime Development land with frontage along Mills Civic Parkway. Adjacent to Glen Oaks gated community and soon to be Glen Meadows Retirement Community.
Lot 1
| Lot Size | 2.33 AC |
| Lot Size | 2.33 AC |
Prime Development land with frontage along Mills Civic Parkway. Adjacent to Glen Oaks gated community and soon to be Glen Meadows Retirement Community.
Description
Prime Development land with frontage along Mills Civic Parkway. Adjacent to Glen Oaks gated community and soon to be Glen Meadows Retirement Community located in West Des Moines IA.
Presented by
SEC S 60th St & Mills Civic Pkwy - Mills Landing
Hmm, there seems to have been an error sending your message. Please try again.
Thanks! Your message was sent.

