Your email has been sent.
SR 310 & I 70 - Retail Pads 1-4 acres at I-70 & SR-310 13.37 Acres of Commercial Land in Etna, OH 43062



INVESTMENT HIGHLIGHTS
- Ready-for-Development Retail Pads
- All Utilities to Site at Etna Crest Blvd.
- Open to Review all Development and Retail Concepts
- Visible Northwest Corner of SR-310 and I-70
- Zoned PMUD (Planned Mixed-Use Development)
- Surrounded by Major Development in High-Growth Area
EXECUTIVE SUMMARY
Planning for the extension of Etna Crest Blvd. is complete and utilities are ready. The extension will connect to the upcoming residential development to the west. There is direct access to the site from the light at Etna Crest Blvd., and the site is just two miles from the Amazon Distribution Center, and 6.5 miles from the New Intel Development. The recently expanded interchange is surrounded by major industrial development throughout Etna Twp. Open to reviewing all development and retail concepts.
PROPERTY FACTS
| Sale Type | Investment | Property Subtype | Commercial |
| Sale Condition | Redevelopment Project | Proposed Use | |
| No. Lots | 1 | Total Lot Size | 13.29 AC |
| Property Type | Land | ||
| Zoning | Commercial - Commercial | ||
| Sale Type | Investment |
| Sale Condition | Redevelopment Project |
| No. Lots | 1 |
| Property Type | Land |
| Property Subtype | Commercial |
| Proposed Use | |
| Total Lot Size | 13.29 AC |
| Zoning | Commercial - Commercial |
1 LOT AVAILABLE
Lot
| Lot Size | 13.37 AC |
| Lot Size | 13.37 AC |
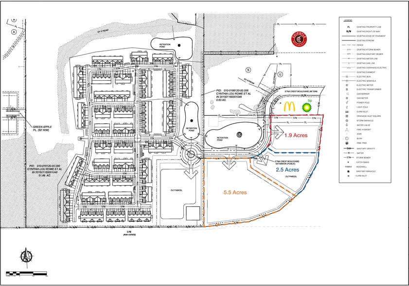
Located just north of I-70 on the west side of SR 310, this 13.37-acre site offers multiple retail pad options ready for development. Positioned in a rapidly expanding corridor, the property benefits from prime visibility and access.
DESCRIPTION
Rare offering of 13 contiguous acres positioned at the high-visibility intersection of State Route 310 and Interstate 70—an exceptional freeway retail site at the southern gateway to Etna, Pataskala, and New Albany. This strategic location offers direct connectivity to major regional destinations including the Intel campus, Google facilities, and regional distribution centers. Located on the west side of SR-310, overlooking the north side of I-70, this site is ideal for a wide range of commercial or mixed-use development. Multiple configurations are available, including 1 to 13 acres of retail. A new roadway is onsite, enabling flexible parcel division and streamlined access for phased development. The site has already completed several critical planning steps with county authorities and is well-positioned for project review and approval. The immediate area has seen significant commercial growth, including recent additions such as McDonald's, Chipotle, and BP—located just north at the expanded interchange. Situated just 18 miles east of Downtown Columbus and 7 miles from Reynoldsburg, this location offers both regional access and strong local demographics. The property fronts Etna Crest Blvd, adjacent to the rear entrance of McDonald’s, enhancing its visibility and accessibility.
PROPERTY TAXES
| Parcel Number | 010-017460-01.000 | Improvements Assessment | $0 CAD |
| Land Assessment | $1,207,878 CAD | Total Assessment | $1,207,878 CAD |
PROPERTY TAXES
Presented by
SR 310 & I 70 - Retail Pads 1-4 acres at I-70 & SR-310
Hmm, there seems to have been an error sending your message. Please try again.
Thanks! Your message was sent.
