Log In/Sign Up
Your email has been sent.
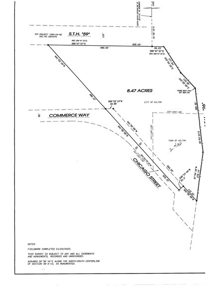
STH 26 @ STH 59 - Crossroads Business Park - Lot 2 Retail 8.47 Acres of Commercial Land Offered at $1,170,893 CAD in Milton, WI 53563



Investment Highlights
- Commercial Zoning!
- Shovel-Ready!
- Near STH 26 Bypass Exit!
- City Water & Sewer!
Executive Summary
The Crossroads Business Park includes 115 acres of shovel-ready land at the new Hwy 26/59 bypass crossroads in Milton. This is Wisconsin’s hard working and congestion-free corridor that connects Rock County with the Fox Valley to the north and Illinois’ Chicagoland to the south. Here at Milton’s Hwy 26/59 crossroads, the Park also offers easy access to the Janesville market to the west, and Whitewater to the east.
Land for sale in Milton, WI. Fully improved, shovel-ready commercial sites, including corner and frontage parcels. Visible to approximately 19,000 vehicles per day traveling on Highway 26. City-owned site within a newly created TIF district.
Land for sale in Milton, WI. Fully improved, shovel-ready commercial sites, including corner and frontage parcels. Visible to approximately 19,000 vehicles per day traveling on Highway 26. City-owned site within a newly created TIF district.
Property Facts
| Price | $1,170,893 CAD | Property Subtype | Commercial |
| Sale Type | Owner User | Proposed Use | |
| No. Lots | 1 | Total Lot Size | 8.47 AC |
| Property Type | Land | ||
| Zoning | B-2 - Commercial | ||
| Price | $1,170,893 CAD |
| Sale Type | Owner User |
| No. Lots | 1 |
| Property Type | Land |
| Property Subtype | Commercial |
| Proposed Use | |
| Total Lot Size | 8.47 AC |
| Zoning | B-2 - Commercial |
1 Lot Available
Lot Lot 2
| Price | $1,170,893 CAD | Lot Size | 8.47 AC |
| Price Per AC | $138,240.00 CAD |
| Price | $1,170,893 CAD |
| Price Per AC | $138,240.00 CAD |
| Lot Size | 8.47 AC |
Great lot with commercial zoning and city provided water and sewer!
Description
Land for sale in Milton, WI. Fully improved, shovel-ready commercial sites, including corner and frontage parcels. Visible to approximately 19,000 vehicles per day traveling on Highway 26. City-owned site within a newly created TIF district.
1 1
Somewhat walkable
30/100
Exceptionally drivable
100/100
Somewhat bikeable
30/100
1 of 5
Videos
Matterport 3D Exterior
Matterport 3D Tour
Photos
Street View
Street
Map
1 of 1
Presented by
STH 26 @ STH 59 - Crossroads Business Park - Lot 2 Retail
Already a member? Log In
Hmm, there seems to have been an error sending your message. Please try again.
Thanks! Your message was sent.
