Log In/Sign Up
Your email has been sent.
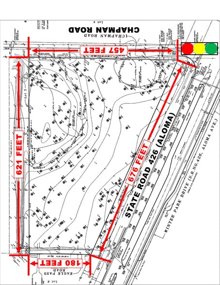
SW Aloma Ave & Chapman Rd - Signalized Corner Lot 5.12 Acres of Commercial Land Offered at $4,495,128 CAD in Oviedo, FL 32765



Investment Highlights
- Chapman Road is the largest east-west corridor between Red Bug Lake Road to the north and State Road 417/Central Florida GreeneWay to the south.
- VISIBILITY - 676 square feet of unobstructed visibility with traffic light at Aloma and Chapman
- Strong household density and regional spending power exceeding $2.5 billion enhance revenue potential for future retail or mixed-use development
- EXCELLENT ACCESS including 1 full access point on Aloma (SR 426), 1 access point at light, and 1 full access point on Eagle Pass Road
- Flexible PUD zoning allows discerning owner/users and investors to capitalize on multiple high-performing commercial concepts
- High visibility frontage along Aloma Avenue at a major signalized intersection supports strong tenant demand and long-term appreciation
Executive Summary
Situated on the southwest corner of Aloma Avenue and Chapman Road, a 5.12-acre commercial development site offers a commanding presence at a signalized intersection in Oviedo, Florida. Spanning approximately 676 feet of frontage along State Road 426, the site includes access off of Aloma (SR 426), Chapman, and Eagle Pass Road. It provides exceptional visibility and strong signage potential along this active corridor.
Development flexibility supports a wide range of high-demand uses, including a multi-tenant shopping center up to 50,000 square feet, banks with drive-thru lanes, quick-service and full-service restaurants, and gas or convenience concepts.
At the largest and most prominent intersection between the Central Florida Greeneway (State Road 417) and Red Bug Lake Road, the site draws attention as a natural focal point for commercial activity. Three dedicated access points, including side-street access along Eagle’s Pass Road, promote efficient traffic circulation and mobility. Additionally, the lot is 1.5 miles south of Oviedo Marketplace, ensuring strong retail synergy and consistent consumer draw.
Surrounding density and purchasing power elevate long-term value for investors and owner/users. Area demographics include nearly 75,000 households within a 5-mile radius, generating approximately $2.5 billion in consumer spending. Nearby anchors such as The Home Depot, Lowe’s, Michaels, and T.J. Maxx, combined with adjacent residential communities by Pulte and Beazer Homes, create a built-in customer base only 23 minutes from Downtown Orlando.
Investors and owner/users looking for a prime Oviedo commercial development opportunity in a fast-growing market are invited to connect today.
Development flexibility supports a wide range of high-demand uses, including a multi-tenant shopping center up to 50,000 square feet, banks with drive-thru lanes, quick-service and full-service restaurants, and gas or convenience concepts.
At the largest and most prominent intersection between the Central Florida Greeneway (State Road 417) and Red Bug Lake Road, the site draws attention as a natural focal point for commercial activity. Three dedicated access points, including side-street access along Eagle’s Pass Road, promote efficient traffic circulation and mobility. Additionally, the lot is 1.5 miles south of Oviedo Marketplace, ensuring strong retail synergy and consistent consumer draw.
Surrounding density and purchasing power elevate long-term value for investors and owner/users. Area demographics include nearly 75,000 households within a 5-mile radius, generating approximately $2.5 billion in consumer spending. Nearby anchors such as The Home Depot, Lowe’s, Michaels, and T.J. Maxx, combined with adjacent residential communities by Pulte and Beazer Homes, create a built-in customer base only 23 minutes from Downtown Orlando.
Investors and owner/users looking for a prime Oviedo commercial development opportunity in a fast-growing market are invited to connect today.
Property Facts
1 Lot Available
Lot
| Price | $4,495,128 CAD | Lot Size | 5.12 AC |
| Price Per AC | $877,954.67 CAD |
| Price | $4,495,128 CAD |
| Price Per AC | $877,954.67 CAD |
| Lot Size | 5.12 AC |
Somewhat walkable
30/100
Exceptionally drivable
100/100
Fairly bikeable
40/100
Property Taxes
| Parcel Number | 20-21-31-5CB-0000-0050 | Improvements Assessment | $0 CAD |
| Land Assessment | $1,071,897 CAD | Total Assessment | $1,071,897 CAD |
Property Taxes
Parcel Number
20-21-31-5CB-0000-0050
Land Assessment
$1,071,897 CAD
Improvements Assessment
$0 CAD
Total Assessment
$1,071,897 CAD
1 of 28
Videos
Matterport 3D Exterior
Matterport 3D Tour
Photos
Street View
Street
Map
Presented by
SW Aloma Ave & Chapman Rd - Signalized Corner Lot
Already a member? Log In
Hmm, there seems to have been an error sending your message. Please try again.
Thanks! Your message was sent.

