Log In/Sign Up
Your email has been sent.
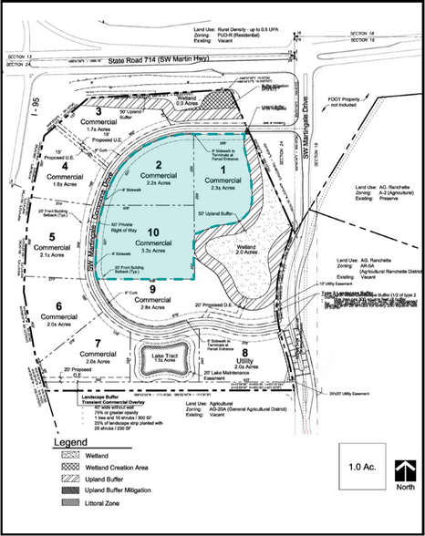
SW Martin Hwy
Palm City, FL 34990
4.5 Acres - SW Martin Hwy & I95 · Land For Sale
·
4.50 AC


Property Facts
| Sale Type | Investment | Property Subtype | Commercial |
| No. Lots | 1 | Proposed Use | |
| Property Type | Land | Total Lot Size | 4.50 AC |
| Zoning | C-PUD - PLANNED UNIT DEVELOPMENT | ||
| Sale Type | Investment |
| No. Lots | 1 |
| Property Type | Land |
| Property Subtype | Commercial |
| Proposed Use | |
| Total Lot Size | 4.50 AC |
| Zoning | C-PUD - PLANNED UNIT DEVELOPMENT |
1 Lot Available
Lot
| Lot Size | 4.50 AC |
| Lot Size | 4.50 AC |
This Parcel is in the SE corner of the I-95 at Exit 110 and SW Martin Highway.
Description
Gas/Convenience/Travel Center site has an excellent location along I-95 at Exit 110 in southeast Florida. Part of a larger commercial PUD expected to include restaurant, hotel and other commercial/retail uses. Great location and one of the last remaining commercial sites along the corridor on the Treasure Coast. Nearest gas locations along I-95 are 9 miles to the north and 10 miles to the south. Lots of new housing planned to the east, and large industrial projects planned both east and west. Heavy commuter corridor along I-95 and into Palm City/Stuart. Martin Hwy is a major connector to Indiantown and Okeechobee.
Property Taxes
| Parcel Number | 24-38-39-000-000-00011-5 | Improvements Assessment | $0 CAD |
| Land Assessment | $0 CAD | Total Assessment | $607,625 CAD |
Property Taxes
Parcel Number
24-38-39-000-000-00011-5
Land Assessment
$0 CAD
Improvements Assessment
$0 CAD
Total Assessment
$607,625 CAD
1 of 15
Videos
Matterport 3D Exterior
Matterport 3D Tour
Photos
Street View
Street
Map
