Log In/Sign Up
Your email has been sent.
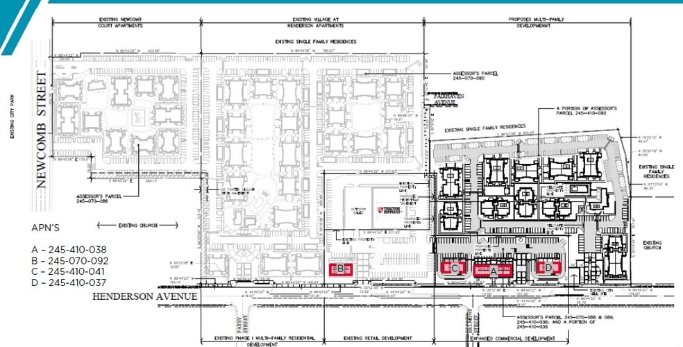
Lot B SWQ Henderson & Newcomb St 0.3 Acres of Commercial Land for Lease in Porterville, CA 93257



Highlights
- Surrounded by new residential
- Retail Opportunity in growing community
- Near State Highway 65
LOT Available
Display Rental Rate as
| Rental Rate |
|
Lot Size | 0.30 AC |
| Lease Term | Negotiable |
| Rental Rate | |
| Lease Term | Negotiable |
| Lot Size | 0.30 AC |
Approximately 12,879 SF Pad Ground Lease
Property Overview
RETAIL SPACE A: +/-8,281 SF Buildable on 19,407 SF Land Area B: +/-12,879 SF Pad C: +/– 3,200 SF Buildable22,957 Land Area D: +/– 3,200 SF Buildable on 14,322 Land
Property Facts
| Total Space Available | 0.30 AC | Property Subtype | Commercial |
| Property Type | Land | Proposed Use | Retail |
| Total Space Available | 0.30 AC |
| Property Type | Land |
| Property Subtype | Commercial |
| Proposed Use | Retail |
1 1
Fairly walkable
40/100
Exceptionally drivable
100/100
Limited public transit
30/100
Moderately bikeable
60/100
1 of 4
Videos
Matterport 3D Exterior
Matterport 3D Tour
Photos
Street View
Street
Map
1 of 1
Presented by
Lot B | SWQ Henderson & Newcomb St
Already a member? Log In
Hmm, there seems to have been an error sending your message. Please try again.
Thanks! Your message was sent.
