Log In/Sign Up
Your email has been sent.
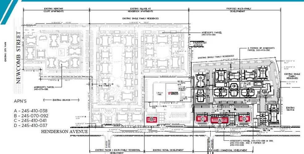
SWQ Henderson & Newcomb St
Porterville, CA 93257
Building C · Retail Property For Lease
·
3,200 SF


Highlights
- Surrounded by new residential
- Retail Opportunity in growing community
- Near State Highway 65
Property Facts
| Total Space Available | 3,200 SF | Gross Leasable Area | 3,200 SF |
| Property Type | Retail | Year Built | 2027 |
| Property Subtype | Fast Food | Construction Status | Proposed |
| Total Space Available | 3,200 SF |
| Property Type | Retail |
| Property Subtype | Fast Food |
| Gross Leasable Area | 3,200 SF |
| Year Built | 2027 |
| Construction Status | Proposed |
About the Property
RETAIL SPACE A: +/-8,281 SF Buildable on +/-19,407 SF Land Area B: +/-12,879 SF Pad C: +/-3,200 SF Buildable on 22,957 Land Area D: +/-3,200 SF Buildable on 14,322 Land Area
- Air Conditioning
1 of 4
Videos
Matterport 3D Exterior
Matterport 3D Tour
Photos
Street View
Street
Map
