Your email has been sent.
Sage St & Cajon Ave - Commercial Land Near Major Thoroughfares 0.56 Acres of Commercial Land Offered at $283,275 CAD in Victorville, CA 92392


Investment Highlights
- Corner Commercial Lot
- Water, Sewer, or Power at Site
Executive Summary
Property Facts
| Price | $283,275 CAD | Property Subtype | Commercial |
| Sale Type | Investment | Proposed Use | Commercial |
| No. Lots | 1 | Total Lot Size | 0.56 AC |
| Property Type | Land | Opportunity Zone |
Yes
|
| Zoning | C2 - Civic Business Center under the Civic Center Specific Plan | ||
| Price | $283,275 CAD |
| Sale Type | Investment |
| No. Lots | 1 |
| Property Type | Land |
| Property Subtype | Commercial |
| Proposed Use | Commercial |
| Total Lot Size | 0.56 AC |
| Opportunity Zone |
Yes |
| Zoning | C2 - Civic Business Center under the Civic Center Specific Plan |
1 Lot Available
Lot
| Price | $283,275 CAD | Lot Size | 0.56 AC |
| Price Per AC | $502,261.17 CAD |
| Price | $283,275 CAD |
| Price Per AC | $502,261.17 CAD |
| Lot Size | 0.56 AC |
±0.56 acres of unimproved commercial land
Description
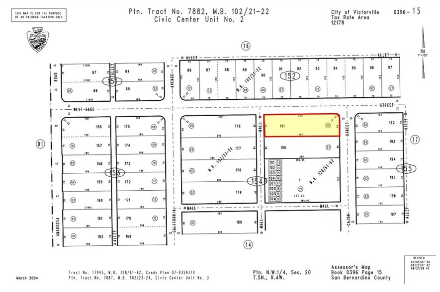
±0.56 acres of unimproved commercial land for sale on the corner of Sage St & Cajon Ave in Victorville; APN: 0396-154-06. Zoned Civic Business Center under the Civic Center Specific Plan, this lot will permit for the development of professional office and associated retail/service uses serving the neighboring government/service districts. Water, sewer, and power are all at site. This property is located in a Qualified Economic Opportunity Zone and may be eligible for preferential tax treatment. Neighboring businesses include Victorville City Hall, Victorville Superior Court, InterCon Security, Mojave Desert Air Quality Management District, The Woodall Group, and more. Buyer to verify all information contained herein. Agent and their representatives are not responsible for the accuracy of these claims.
Property Taxes
| Parcel Number | 0396-154-06 | Improvements Assessment | $0 CAD |
| Land Assessment | $268,047 CAD | Total Assessment | $268,047 CAD |
Property Taxes
Presented by
Sage St & Cajon Ave - Commercial Land Near Major Thoroughfares
Hmm, there seems to have been an error sending your message. Please try again.
Thanks! Your message was sent.
