Log In/Sign Up
Your email has been sent.
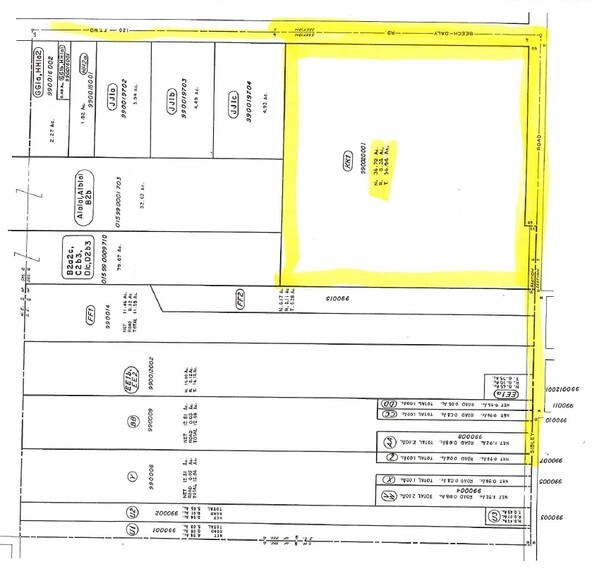
Sibley Rd - Sibley Rd 36.94 Acres of Residential Land Offered at $1,755,527 CAD in Romulus, MI 48174


Executive Summary
• Great Parcel
• Utilities on West Side of Beech Daly
• South Side of Sibley has 21” Sewer and 12’ Water
• Gas Service Line on Both Roads
• Utilities on West Side of Beech Daly
• South Side of Sibley has 21” Sewer and 12’ Water
• Gas Service Line on Both Roads
Property Facts
| Price | $1,755,527 CAD | Property Subtype | Residential |
| Sale Type | Investment | Proposed Use | Planned Unit Development |
| No. Lots | 1 | Total Lot Size | 36.94 AC |
| Property Type | Land | ||
| Zoning | Residential | ||
| Price | $1,755,527 CAD |
| Sale Type | Investment |
| No. Lots | 1 |
| Property Type | Land |
| Property Subtype | Residential |
| Proposed Use | Planned Unit Development |
| Total Lot Size | 36.94 AC |
| Zoning | Residential |
1 Lot Available
Lot
| Price | $1,755,527 CAD | Lot Size | 36.94 AC |
| Price Per AC | $47,523.76 CAD |
| Price | $1,755,527 CAD |
| Price Per AC | $47,523.76 CAD |
| Lot Size | 36.94 AC |
• Great Parcel • Utilities on West Side of Beech Daly • South Side of Sibley has 21” Sewer and 12’ Water • Gas Service Line on Both Roads
1 1
Somewhat walkable
20/100
Exceptionally drivable
100/100
Somewhat bikeable
30/100
Property Taxes
| Parcel Number | 70-018-99-0020-001 | Improvements Assessment | $0 CAD |
| Land Assessment | $0 CAD | Total Assessment | $144,398 CAD |
Property Taxes
Parcel Number
70-018-99-0020-001
Land Assessment
$0 CAD
Improvements Assessment
$0 CAD
Total Assessment
$144,398 CAD
1 of 3
Videos
Matterport 3D Exterior
Matterport 3D Tour
Photos
Street View
Street
Map
1 of 1
Presented by
Sibley Rd - Sibley Rd
Already a member? Log In
Hmm, there seems to have been an error sending your message. Please try again.
Thanks! Your message was sent.
