Log In/Sign Up
Your email has been sent.
Soncy & Sundown
Amarillo, TX 79119
Land For Sale
·
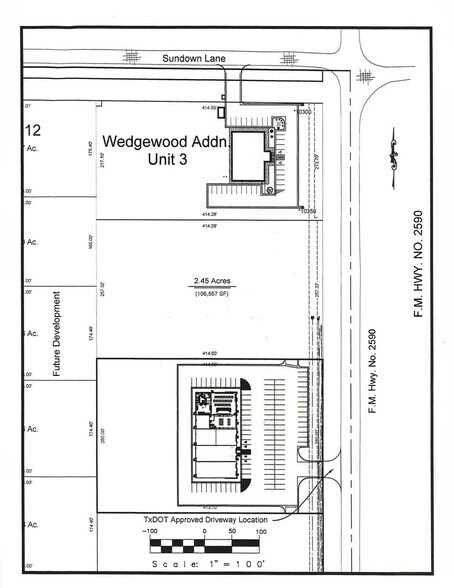
2.45 AC


INVESTMENT HIGHLIGHTS
- Located in the fastest growing area in Amarillo.
- Serviced by Atmos and Excel
- Heavy traffic on Soncy and easy access to Loop 335 and I-27
- 257.32' of frontage, 414.28' deep
- In between a new retail project and dentist office.
- One mile away from the new Kids Inc
EXECUTIVE SUMMARY
Located at Sundown and Soncy.
PROPERTY FACTS
| Sale Type | Investment | Property Subtype | Commercial |
| No. Lots | 1 | Total Lot Size | 2.45 AC |
| Property Type | Land | ||
| Zoning | OCL - Outside City Limits | ||
| Sale Type | Investment |
| No. Lots | 1 |
| Property Type | Land |
| Property Subtype | Commercial |
| Total Lot Size | 2.45 AC |
| Zoning | OCL - Outside City Limits |
1 LOT AVAILABLE
Lot
| Price | $653,971 CAD | Lot Size | 2.45 AC |
| Price Per AC | $266,926.74 CAD |
| Price | $653,971 CAD |
| Price Per AC | $266,926.74 CAD |
| Lot Size | 2.45 AC |
2.45 acre tract located between two new construction commercial projects.
1 of 3
VIDEOS
MATTERPORT 3D EXTERIOR
MATTERPORT 3D TOUR
PHOTOS
STREET VIEW
STREET
MAP
