Your email has been sent.
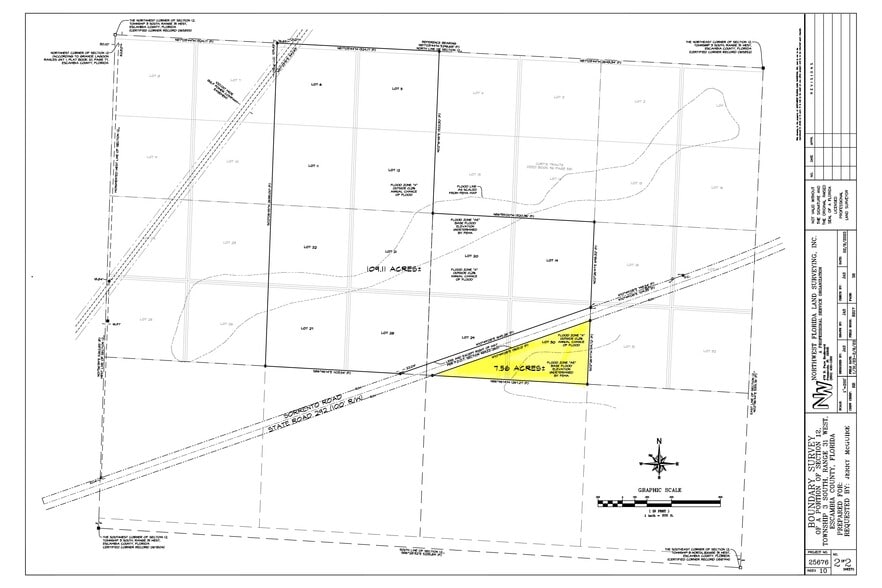
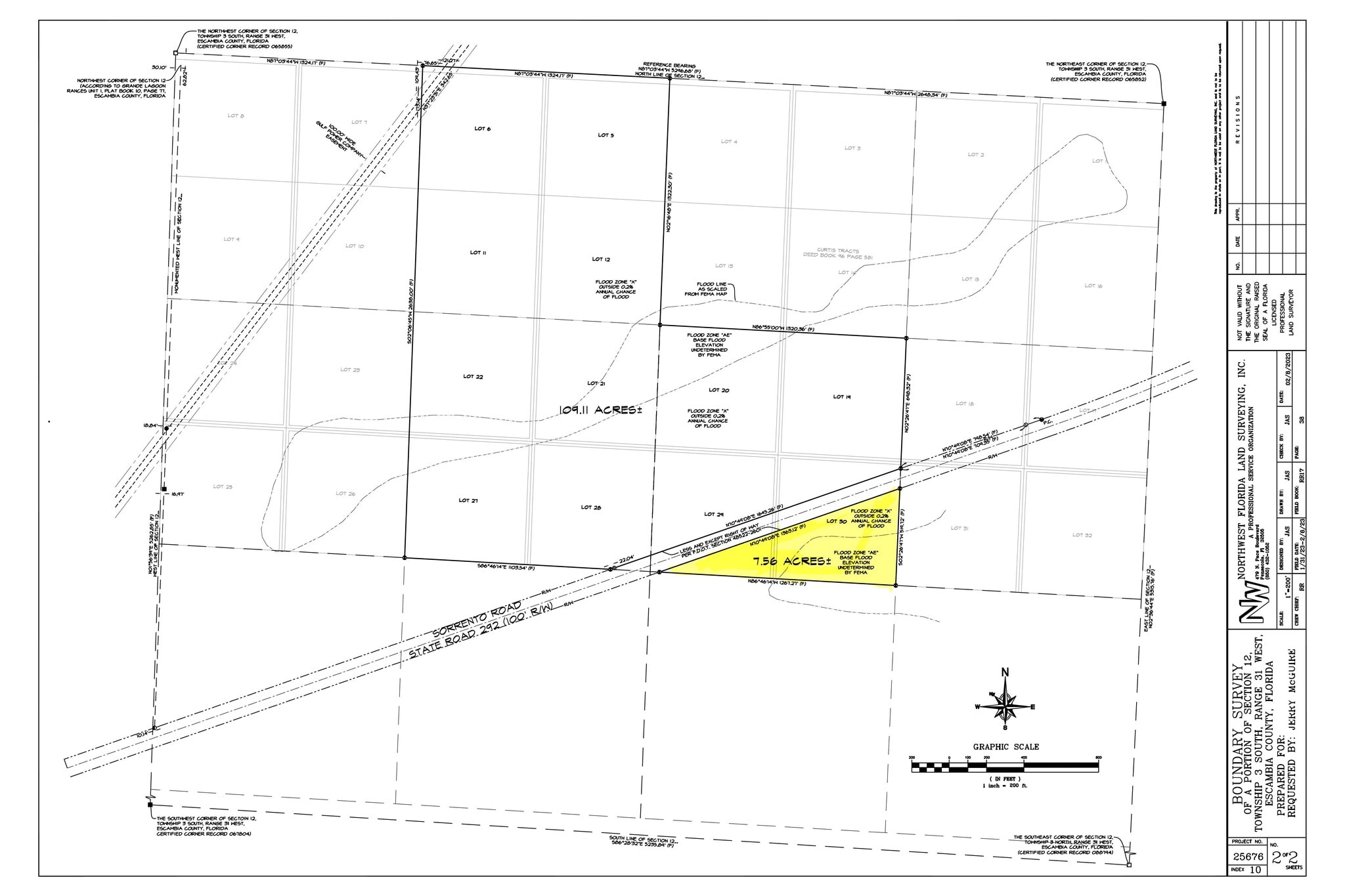
Sorrento Road - Sorrento Road, Pensacola, FL - 7.56 Acres 7.56 Acres of Residential Land Offered at $907,348 CAD in Pensacola, FL 32507

INVESTMENT HIGHLIGHTS
- Over 7 acres of land located along high-traffic Sorrento Road in beautiful Pensacola, FL
- Excellent visibility and easy access to shopping, schools, beaches, and NAS Pensacola.
- Minutes from Perdido Key, Big Lagoon State Park, and downtown Pensacola.
EXECUTIVE SUMMARY
PROPERTY FACTS
1 LOT AVAILABLE
Lot
| Price | $907,348 CAD | Lot Size | 7.56 AC |
| Price Per AC | $120,019.58 CAD |
| Price | $907,348 CAD |
| Price Per AC | $120,019.58 CAD |
| Lot Size | 7.56 AC |
BEG AT INTER OF NLY R/W LI OF RD DESC IN OR 426 P 922 AND W LI OF SEC N ALG W LI OF SEC 957 8/10 FT TO SW COR OF LT 25 CURTIS TRACT E ALG S LI OF CURTIS TRACT 2339 98/100 FT TO A PT IN NLY R/W LI OF SD RD SWLY ALG SD NLY R/W LI TO POB LESS PORTION OF
DESCRIPTION
Over 7 acres of land located along high-traffic Sorrento Road in beautiful Pensacola, FL. Zoned Low Density Residential (LDR), this expansive property offers opportunity in a rapidly growing area. With excellent visibility and easy access to shopping, schools, beaches, and NAS Pensacola. Minutes from Perdido Key, Big Lagoon State Park, and downtown Pensacola. ** This listing only includes the 7+ acres on the south side of Sorrento - the 100+ acres on the north side are not included. **This property is within the AIPD-2 - NAS Pensacola Air Influence Planning District.
Presented by
Sorrento Road - Sorrento Road, Pensacola, FL - 7.56 Acres
Hmm, there seems to have been an error sending your message. Please try again.
Thanks! Your message was sent.
