Log In/Sign Up
Your email has been sent.
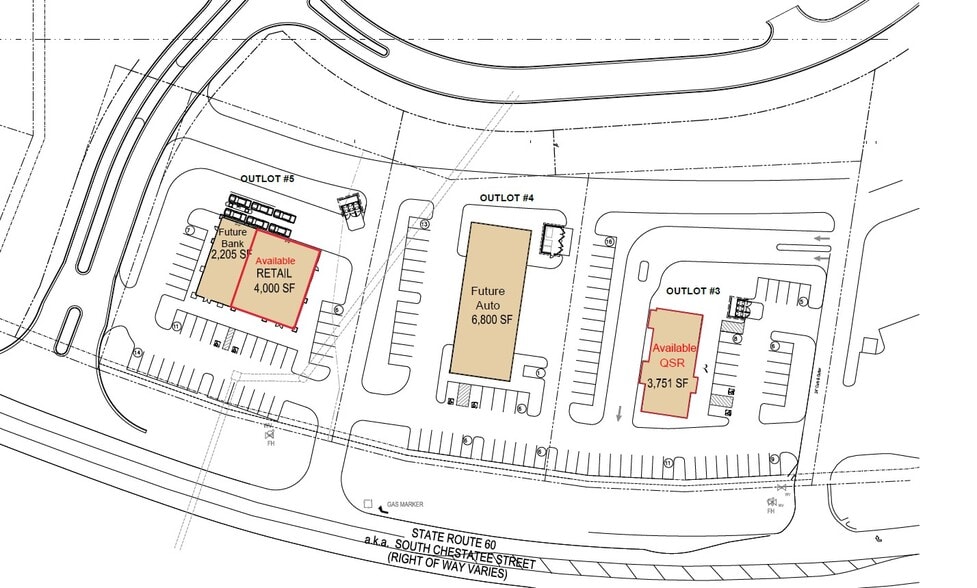
South Chestatee Publix QSR Ground Lease South Chestatee st 1.72 Acres of Commercial Land for Lease in Dahlonega, GA 30533



Highlights
- Drive-thru
- Single Tenant Outparcel
- Publix Outparcel
- In-Line End Cap Available
LOT Available
Display Rental Rate as
| Rental Rate |
|
Lot Size | 1.72 AC |
| Lease Term | Negotiable |
| Rental Rate | |
| Lease Term | Negotiable |
| Lot Size | 1.72 AC |
Easily accessible along South Chestatee (SR 60) and Longbranch Road at the GA 400 (20,300 AADT) Intersection in Dahlonega a quickly growing retail and medical corridor
Property Overview
1.723 Acre Ground Lease Publix Outparcel available with Drive-thru
Property Facts
Somewhat walkable
20/100
Exceptionally drivable
100/100
Not bikeable
10/100
1 of 4
Videos
Matterport 3D Exterior
Matterport 3D Tour
Photos
Street View
Street
Map
Presented by
South Chestatee Publix QSR Ground Lease | South Chestatee st
Already a member? Log In
Hmm, there seems to have been an error sending your message. Please try again.
Thanks! Your message was sent.

