Log In/Sign Up
Your email has been sent.
Investment Highlights
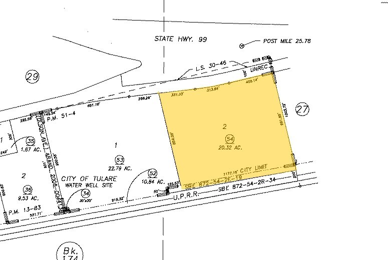
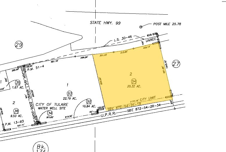
- Frontage Along Highway 99
Property Facts
1 Lot Available
Lot
| Lot Size | 20.32 AC |
| Lot Size | 20.32 AC |
1 1
1 of 2
Videos
Matterport 3D Exterior
Matterport 3D Tour
Photos
Street View
Street
Map
1 of 1
Presented by
South K St
Already a member? Log In
Hmm, there seems to have been an error sending your message. Please try again.
Thanks! Your message was sent.

