Log In/Sign Up
Your email has been sent.
Investment Highlights
- Located in Gateway North Shopping Center
Executive Summary
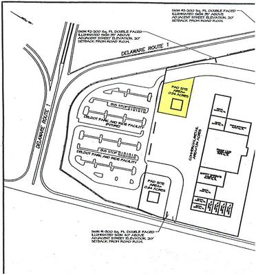
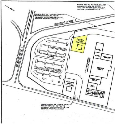
Pad site available at Gateway North Shopping Center.
Property Facts
| Price | $545,696 CAD | Property Subtype | Commercial |
| Sale Type | Owner User | Proposed Use | Retail |
| No. Lots | 1 | Total Lot Size | 0.50 AC |
| Property Type | Land | ||
| Zoning | HC - Highway Commercial | ||
| Price | $545,696 CAD |
| Sale Type | Owner User |
| No. Lots | 1 |
| Property Type | Land |
| Property Subtype | Commercial |
| Proposed Use | Retail |
| Total Lot Size | 0.50 AC |
| Zoning | HC - Highway Commercial |
1 Lot Available
Lot Pad Site
| Price | $545,696 CAD | Lot Size | 0.50 AC |
| Price Per AC | $1,091,392.04 CAD |
| Price | $545,696 CAD |
| Price Per AC | $1,091,392.04 CAD |
| Lot Size | 0.50 AC |
Pad site
1 1
Fairly walkable
40/100
Exceptionally drivable
100/100
Limited public transit
30/100
Somewhat bikeable
30/100
Property Taxes
| Parcel Number | 1-17-01900-01-6306-000 | Improvements Assessment | $0 CAD |
| Land Assessment | $602,312 CAD | Total Assessment | $602,312 CAD |
Property Taxes
Parcel Number
1-17-01900-01-6306-000
Land Assessment
$602,312 CAD
Improvements Assessment
$0 CAD
Total Assessment
$602,312 CAD
1 of 2
Videos
Matterport 3D Exterior
Matterport 3D Tour
Photos
Street View
Street
Map
1 of 1
Presented by
Stadium St - Pad Site
Already a member? Log In
Hmm, there seems to have been an error sending your message. Please try again.
Thanks! Your message was sent.

