Log In/Sign Up
Your email has been sent.
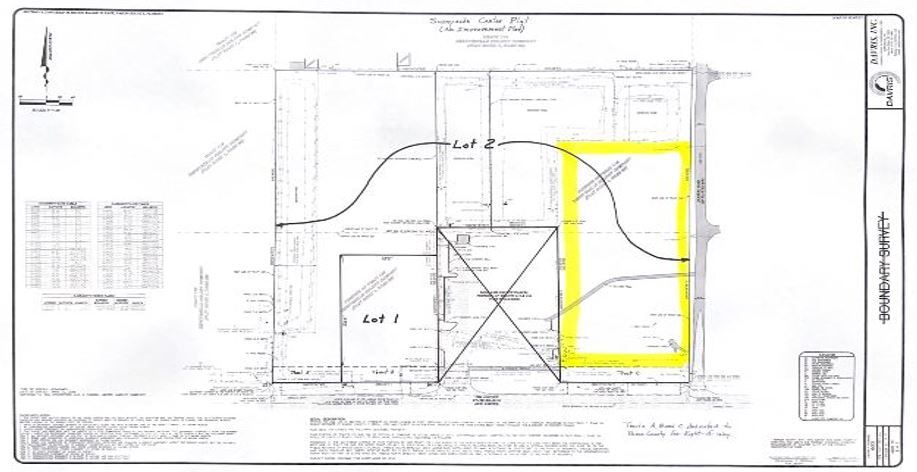
State Road 54 & Seaberg Rd - Opportunity Zone - Commercial Land 2.25 Acres of Commercial Land Offered at $959,287 CAD in Zephyrhills, FL 33541



Investment Highlights
- Development Opportunity - Call With Offers.
- A significant amount of engineering and permitting has been completed which will speed up the development process
- Stubbed Utilities in Place
Executive Summary
The property is approximately a 2.25 acre out parcel adjacent to a brand new Dollar General and Dunkin Donuts. This site is zoned C2 (General Commercial) and is ideal for banks, fast food, tire store, gas, hotel, office or medical uses. The entrance to the property has been developed by Dollar General and utilities have been stubbed to the site. A significant amount of engineering and permitting has been completed which will speed up the development process. Seller will Divide and will consider purchase, ground lease, or build to suit for a qualified tenant.
The site is located just to the east of the Dean Dairy and State Road 54 intersection in Zephyrhills, Florida across the street from a Sweetbay Plaza. Recent development includes a Walgreens and the Dollar General. The daily traffic counts are 17,100 on State Road 54.
The site is located just to the east of the Dean Dairy and State Road 54 intersection in Zephyrhills, Florida across the street from a Sweetbay Plaza. Recent development includes a Walgreens and the Dollar General. The daily traffic counts are 17,100 on State Road 54.
Property Facts
| Price | $959,287 CAD | Property Subtype | Commercial |
| Sale Type | Investment | Proposed Use | |
| No. Lots | 1 | Total Lot Size | 2.25 AC |
| Property Type | Land | Opportunity Zone |
Yes
|
| Zoning | C2 | ||
| Price | $959,287 CAD |
| Sale Type | Investment |
| No. Lots | 1 |
| Property Type | Land |
| Property Subtype | Commercial |
| Proposed Use | |
| Total Lot Size | 2.25 AC |
| Opportunity Zone |
Yes |
| Zoning | C2 |
1 Lot Available
Lot
| Price | $959,287 CAD | Lot Size | 2.25 AC |
| Price Per AC | $426,349.77 CAD |
| Price | $959,287 CAD |
| Price Per AC | $426,349.77 CAD |
| Lot Size | 2.25 AC |
2.25 acres adjacent to Dollar General and a newly constructed Dunkin Donuts site. Approximately 200 Feet fronting on State Road 54. Area is populated with large mobile home parks. State Road 54 is heavily traveled - 17,100 - 23,500 traffic count.
1 1
Fairly walkable
40/100
Exceptionally drivable
100/100
Somewhat bikeable
30/100
Property Taxes
| Parcel Number | 09-26-21-0090-00000-0020 | Improvements Assessment | $0 CAD |
| Land Assessment | $1,022,974 CAD | Total Assessment | $1,022,974 CAD |
Property Taxes
Parcel Number
09-26-21-0090-00000-0020
Land Assessment
$1,022,974 CAD
Improvements Assessment
$0 CAD
Total Assessment
$1,022,974 CAD
1 of 5
Videos
Matterport 3D Exterior
Matterport 3D Tour
Photos
Street View
Street
Map
1 of 1
Presented by
Nye Commercial Advisors
State Road 54 & Seaberg Rd - Opportunity Zone - Commercial Land
Already a member? Log In
Hmm, there seems to have been an error sending your message. Please try again.
Thanks! Your message was sent.
