Log In/Sign Up
Your email has been sent.
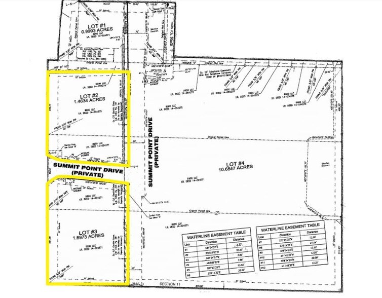
State Route 741 & Summit Point Dr
Miamisburg, OH 45342
Austin Park Lot 2 · Land For Lease


Property Overview
Anchored Retailers in the Area Include Kroger, Kohl’s, Old Navy, TJ Maxx, Field & Stream, Home Goods, and more. Located in Front of Austin Park, a 214 Unit Class A Apartment Complex, Completed in 2017.
Property Facts
1 of 3
Videos
Matterport 3D Exterior
Matterport 3D Tour
Photos
Street View
Street
Map
