Log In/Sign Up
Your email has been sent.
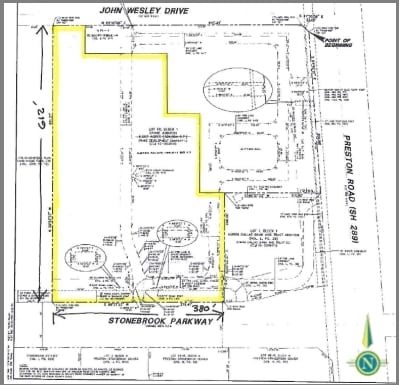
Stonebrook Pky & Preston Rd NW
Frisco, TX 75034
Land For Sale
·
4.28 AC


Investment Highlights
- Next to Comprehensive Pain Management
- Near Collin County Justice of Pease Pct. 4
- Near Pilot Medical Center
Executive Summary
Frontage on Stonebrook Parkway.
Property Facts
1 Lot Available
Lot
| Lot Size | 4.28 AC |
| Lot Size | 4.28 AC |
Frontage on Stonebrook Parkway.
Property Taxes
| Parcel Number | R-3523-001-0010-1 | Improvements Assessment | $0 CAD |
| Land Assessment | $3,059,407 CAD | Total Assessment | $3,059,407 CAD |
Property Taxes
Parcel Number
R-3523-001-0010-1
Land Assessment
$3,059,407 CAD
Improvements Assessment
$0 CAD
Total Assessment
$3,059,407 CAD
1 of 3
Videos
Matterport 3D Exterior
Matterport 3D Tour
Photos
Street View
Street
Map
