Log In/Sign Up
Your email has been sent.
Summit Valley Rd
Hesperia, CA 92345
Land For Sale
·
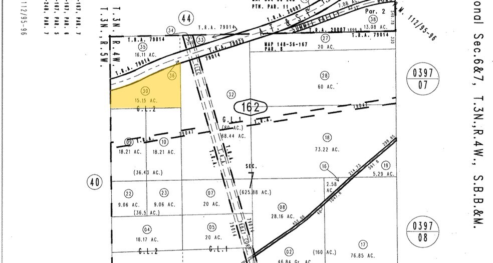
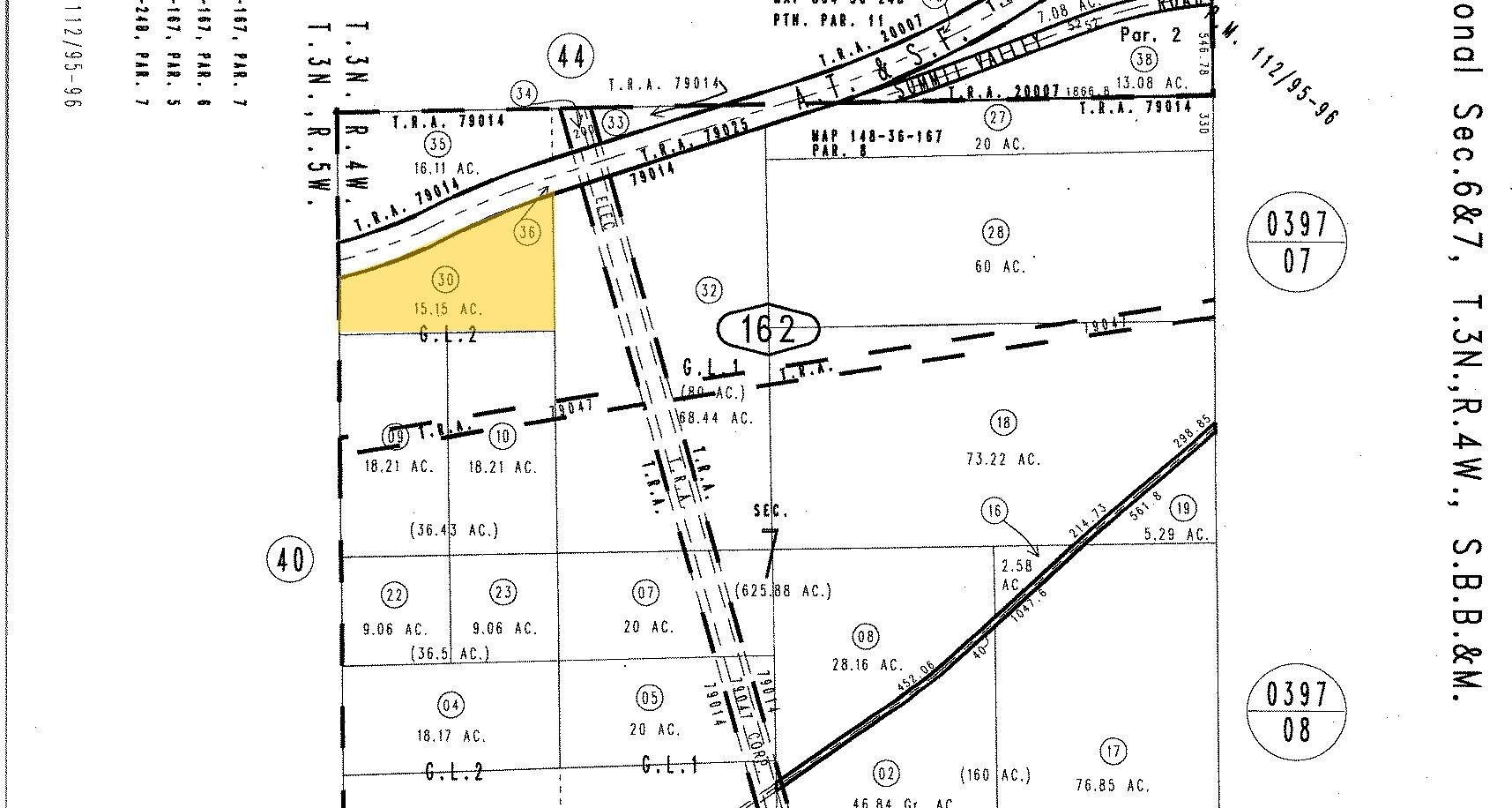
15.15 AC

EXECUTIVE SUMMARY
· Approximately 15.15 Acres
· APN# 0405-162-30
· APN# 0405-162-30
PROPERTY FACTS
| Sale Type | Investment or Owner User | Property Subtype | Commercial |
| No. Lots | 1 | Total Lot Size | 15.15 AC |
| Property Type | Land | ||
| Zoning | IC | ||
| Sale Type | Investment or Owner User |
| No. Lots | 1 |
| Property Type | Land |
| Property Subtype | Commercial |
| Total Lot Size | 15.15 AC |
| Zoning | IC |
1 LOT AVAILABLE
Lot
| Price | $165,227 CAD | Lot Size | 15.15 AC |
| Price Per AC | $10,906.06 CAD |
| Price | $165,227 CAD |
| Price Per AC | $10,906.06 CAD |
| Lot Size | 15.15 AC |
PROPERTY TAXES
| Parcel Number | 0405-162-30 | Improvements Assessment | $0 CAD |
| Land Assessment | $186,187 CAD | Total Assessment | $186,187 CAD |
PROPERTY TAXES
Parcel Number
0405-162-30
Land Assessment
$186,187 CAD
Improvements Assessment
$0 CAD
Total Assessment
$186,187 CAD
1 of 2
VIDEOS
MATTERPORT 3D EXTERIOR
MATTERPORT 3D TOUR
PHOTOS
STREET VIEW
STREET
MAP
