Log In/Sign Up
Your email has been sent.
TBD W State St
Eagle, ID 83616
Eagledale Commercial · Land For Sale
·
6.47 AC


Executive Summary
Introducing an exceptional purchase opportunity in Eagle, ID! This strategically positioned property, zoned C-2-DA-P, offers prime State Street frontage along one of the fastest-growing corridors in the Treasure Valley. With a fully signalized intersection at Palmer and State, the site provides efficient access and excellent regional connectivity. Boasting a gateway location to Idaho’s highest-income demographic, this property is ideally situated to serve the Eagle, Star, and Meridian markets. With low inventory in the submarket, rare drive-thru potential on select lots, and a forthcoming Phase I final plat, this property presents a compelling opportunity to capitalize on the area’s burgeoning demand.
Property Facts
| Sale Type | Investment | Property Subtype | Commercial |
| No. Lots | 11 | Total Lot Size | 6.47 AC |
| Property Type | Land | ||
| Zoning | C-2 DA-P - General Business District, Development Agreement, Planned Development | ||
| Sale Type | Investment |
| No. Lots | 11 |
| Property Type | Land |
| Property Subtype | Commercial |
| Total Lot Size | 6.47 AC |
| Zoning | C-2 DA-P - General Business District, Development Agreement, Planned Development |
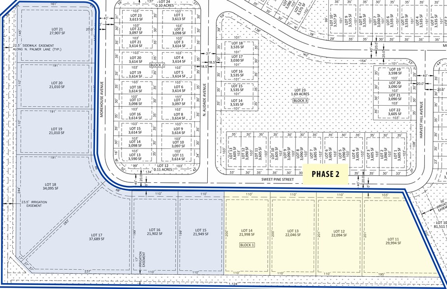
11 Lots Available
Lot Lot 15
| Lot Size | 0.50 AC |
| Lot Size | 0.50 AC |
PHASE 1 FINAL PLAT EXPECTED AUG. 2026
Lot Lot 16
| Lot Size | 0.50 AC |
| Lot Size | 0.50 AC |
PHASE 1 FINAL PLAT EXPECTED AUG. 2026
Lot Lot 17
| Lot Size | 0.87 AC |
| Lot Size | 0.87 AC |
PHASE 1 FINAL PLAT EXPECTED AUG. 2026 (Drive Thru Potential)
Lot Lot 18
| Lot Size | 0.78 AC |
| Lot Size | 0.78 AC |
PHASE 1 FINAL PLAT EXPECTED AUG. 2026 (Drive Thru Potential)
Lot Lot 19
| Lot Size | 0.48 AC |
| Lot Size | 0.48 AC |
PHASE 1 FINAL PLAT EXPECTED AUG. 2026
Lot Lot 20
| Lot Size | 0.48 AC |
| Lot Size | 0.48 AC |
PHASE 1 FINAL PLAT EXPECTED AUG. 2026 (Drive Thru Potential)
Lot Lot 21
| Lot Size | 0.64 AC |
| Lot Size | 0.64 AC |
PHASE 1 FINAL PLAT EXPECTED AUG. 2026 (Drive Thru Potential)
Lot Lot 11
| Lot Size | 0.69 AC |
| Lot Size | 0.69 AC |
Phase 2
Lot Lot 12
| Lot Size | 0.51 AC |
| Lot Size | 0.51 AC |
Phase 2
Lot Lot 13
| Lot Size | 0.51 AC |
| Lot Size | 0.51 AC |
Phase 2
Lot Lot 14
| Lot Size | 0.51 AC |
| Lot Size | 0.51 AC |
Phase 2
Description
Eagle | N. Palmer Lane & W. State Street
Property Taxes
| Parcel Number | S0410427820 | Improvements Assessment | $0 CAD |
| Land Assessment | $0 CAD | Total Assessment | $6,139 CAD |
Property Taxes
Parcel Number
S0410427820
Land Assessment
$0 CAD
Improvements Assessment
$0 CAD
Total Assessment
$6,139 CAD
1 of 14
Videos
Matterport 3D Exterior
Matterport 3D Tour
Photos
Street View
Street
Map
