Log In/Sign Up
Your email has been sent.
TX-211 & W. Grosenbacher Road - Shops at Ladera - Pad Sites 0.53 - 1.02 Acre Commercial Land Lots in San Antonio, TX 78245



INVESTMENT HIGHLIGHTS
- One of the fastest growing submarkets in Bexar County
- Multiple points of ingress / egress
- TX-211 Frontage with convenient access to W. Grosenbacher Rd
- Surrounded by vast residential development w/thousands of new homes planned
EXECUTIVE SUMMARY
Pad Sizes are Flexible | Contact for Additional Information and Pricing.
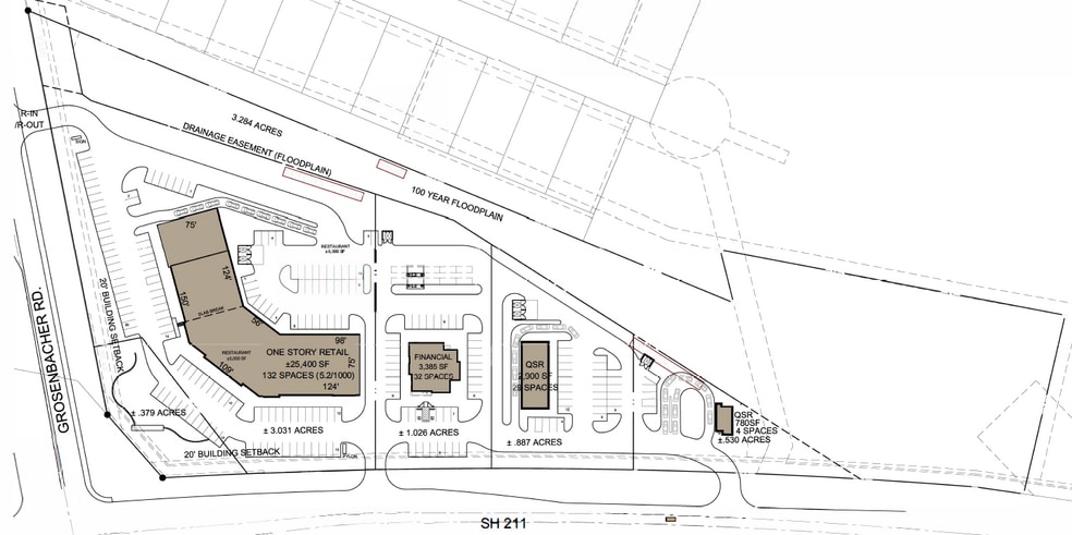
Situated at the high-traffic intersection of TX-211 and W. Grosenbacher Road, this prime site offers multiple points of ingress and egress with pad sites ranging from ±0.53 to ±1.026 acres, ideal for drive-thru concepts. The site features frontage along both TX-211 and W. Grosenbacher, TX-211 provides direct access to U.S. 90 and Potranco Road. Construction is underway on the W. Grosenbacher East Extension, further enhancing connectivity. Located in one of San Antonio’s fastest-growing submarkets, the site is surrounded by established neighborhoods and new developments, offering exceptional visibility and accessibility.
Situated at the high-traffic intersection of TX-211 and W. Grosenbacher Road, this prime site offers multiple points of ingress and egress with pad sites ranging from ±0.53 to ±1.026 acres, ideal for drive-thru concepts. The site features frontage along both TX-211 and W. Grosenbacher, TX-211 provides direct access to U.S. 90 and Potranco Road. Construction is underway on the W. Grosenbacher East Extension, further enhancing connectivity. Located in one of San Antonio’s fastest-growing submarkets, the site is surrounded by established neighborhoods and new developments, offering exceptional visibility and accessibility.
TAXES & OPERATING EXPENSES (ACTUAL - 2025) Click Here to Access |
ANNUAL (CAD) | ANNUAL PER AC (CAD) |
|---|---|---|
| Taxes |
-
|
-
|
| Operating Expenses |
-
|
-
|
| Total Expenses |
$99,999
|
$9.99
|
TAXES & OPERATING EXPENSES (ACTUAL - 2025) Click Here to Access
| Taxes (CAD) | |
|---|---|
| Annual | - |
| Annual Per AC | - |
| Operating Expenses (CAD) | |
|---|---|
| Annual | - |
| Annual Per AC | - |
| Total Expenses (CAD) | |
|---|---|
| Annual | $99,999 |
| Annual Per AC | $9.99 |
PROPERTY FACTS
3 LOTS AVAILABLE
Lot Pad Site 1
| Lot Size | 0.89 AC |
| Lot Size | 0.89 AC |
PAD SIZE FLEXIBILITY ** TX-211 Frontage
Lot Pad Site 2
| Lot Size | 0.53 AC |
| Lot Size | 0.53 AC |
PAD SIZE FLEXIBILITY ** TX-211 Frontage
Lot Pad Site 3
| Lot Size | 1.02 AC |
| Lot Size | 1.02 AC |
PAD SIZE FLEXIBILITY ** TX-211 Frontage
DESCRIPTION
FROM 0.5± AC TO 1.026± AC PADS W/ DRIVE-THRU CONCEPTS PAD SIZE FLEXIBILITY
1 of 6
VIDEOS
MATTERPORT 3D EXTERIOR
MATTERPORT 3D TOUR
PHOTOS
STREET VIEW
STREET
MAP
Presented by
TX-211 & W. Grosenbacher Road - Shops at Ladera - Pad Sites
Already a member? Log In
Hmm, there seems to have been an error sending your message. Please try again.
Thanks! Your message was sent.

