Log In/Sign Up
Your email has been sent.
Tax Lot #3900 Barnett -1
Medford, OR 97504
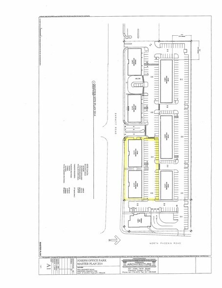
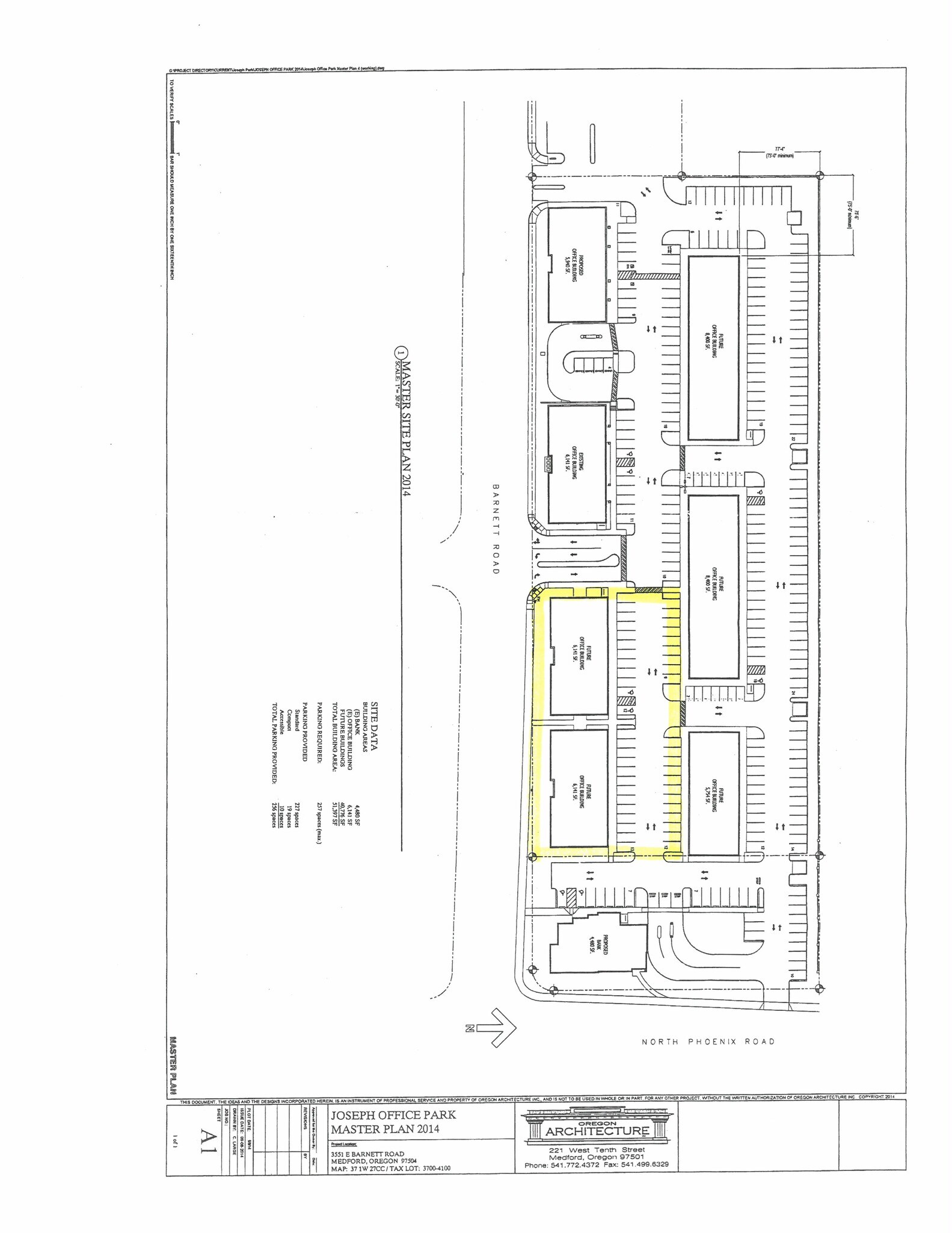
Joseph Office Park · Land For Lease

Property Overview
Master planned office park. Brokers are part owners. Owners reserve the right to approve tenant and use.
Property Facts
1 of 2
Videos
Matterport 3D Exterior
Matterport 3D Tour
Photos
Street View
Street
Map
