Log In/Sign Up
Your email has been sent.
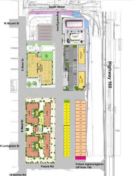
US-160 & W South St - 160 & South in Nixa, MO 14.89 Acres of Commercial Land Offered at $4,024,508 CAD in Nixa, MO 65714



Executive Summary
14.89 acres located at the southwest corner of highway 160 & south street. Access from 1st traffic light south of highway 14.
Property Facts
| Price | $4,024,508 CAD | Property Subtype | Commercial |
| Sale Type | Investment | Proposed Use | Commercial |
| No. Lots | 1 | Total Lot Size | 14.89 AC |
| Property Type | Land | ||
| Zoning | Commerical | ||
| Price | $4,024,508 CAD |
| Sale Type | Investment |
| No. Lots | 1 |
| Property Type | Land |
| Property Subtype | Commercial |
| Proposed Use | Commercial |
| Total Lot Size | 14.89 AC |
| Zoning | Commerical |
1 Lot Available
Lot
| Price | $4,024,508 CAD | Lot Size | 14.89 AC |
| Price Per AC | $270,284.43 CAD |
| Price | $4,024,508 CAD |
| Price Per AC | $270,284.43 CAD |
| Lot Size | 14.89 AC |
14.89 acres located at the southwest corner of highway 160 & south street. Access from 1st traffic light south of highway 14.
1 1
Fairly walkable
40/100
Exceptionally drivable
100/100
Somewhat bikeable
20/100
1 of 11
Videos
Matterport 3D Exterior
Matterport 3D Tour
Photos
Street View
Street
Map
1 of 1
Presented by
US-160 & W South St - 160 & South in Nixa, MO
Already a member? Log In
Hmm, there seems to have been an error sending your message. Please try again.
Thanks! Your message was sent.
