Log In/Sign Up
Your email has been sent.
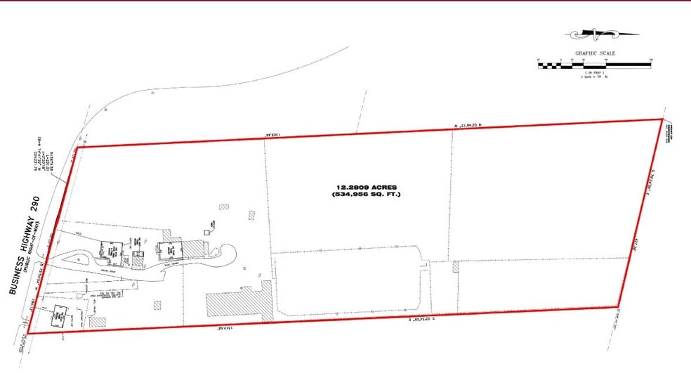
US 290 Business & FM 359 12.28 Acres of Commercial Land Offered at $1,823,083 CAD in Hempstead, TX 77445


Investment Highlights
- Located on the NE Corner of Business US 290 and FM 359
- Located near the new HEB Distribution site on US 290 in Hempstead
- West of Johnson Development’s new Master Planned Community - Jubilee
- Great Visibility on both US 290 Business & FM 359
- Quick access to major roadways: US Hwy 290, Hwy 159, FM 359, FM 362, FM 1887
Property Facts
1 Lot Available
Lot
| Price | $1,823,083 CAD | Lot Size | 12.28 AC |
| Price Per AC | $148,459.56 CAD |
| Price | $1,823,083 CAD |
| Price Per AC | $148,459.56 CAD |
| Lot Size | 12.28 AC |
Great Visibility on both US 290 Business & FM 359
Description
Located on the NE Corner of Business US 290 and FM 359
Not walkable
10/100
Exceptionally drivable
100/100
Somewhat bikeable
20/100
Property Taxes
| Parcel Numbers | Improvements Assessment | $4,956 CAD | |
| Land Assessment | $976,400 CAD | Total Assessment | $981,356 CAD |
Property Taxes
Parcel Numbers
Land Assessment
$976,400 CAD
Improvements Assessment
$4,956 CAD
Total Assessment
$981,356 CAD
1 of 3
Videos
Matterport 3D Exterior
Matterport 3D Tour
Photos
Street View
Street
Map
Presented by
US 290 Business & FM 359
Already a member? Log In
Hmm, there seems to have been an error sending your message. Please try again.
Thanks! Your message was sent.

