Log In/Sign Up
Your email has been sent.
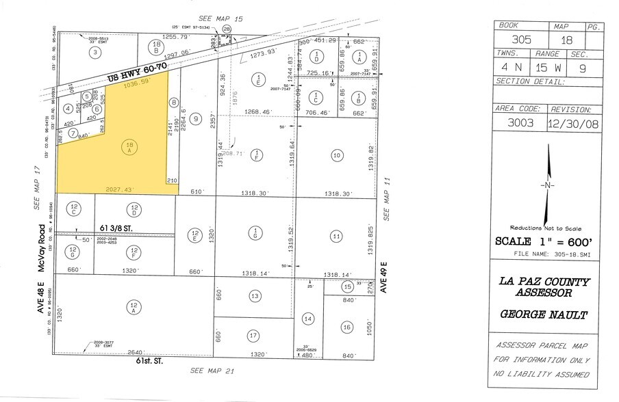
US-60 & McVay Rd - 30518018A 61.4 Acres of Residential Land in Bouse, AZ 85325


Investment Highlights
- Can be purchased individually or as part of a package with nearby parcels.
Executive Summary
Frontage on HWY 60. 3P power avail. Billboard potential. Beautiful AZ virgin desert. Purchased originally to build an RV Park Resort. Potential for dairy farm, melon farm, solar farm, ranching, or secluded get-a-way. Parcel is located west of the West of the Harquehala Irrigation Non-Exempt area for potential well approval. Wells range 200'-300' deep. Can be purchased individually or as part of package with nearby parcels.
Property Facts
1 Lot Available
Lot
| Lot Size | 61.40 AC |
| Lot Size | 61.40 AC |
Frontage on HWY 60. 3P power avail. Billboard potential
Description
This land has HWY 60 frontage and is Located just west of Salome AZ. This location is perfect for an RV Park Resort Development or farming, ranching, dairy farm, melon farm, solar farm, billboard use or secluded get-a-way development. The parcel is located west of the Harquehala irrigation Non-Exempt area making it an ideal candidate for well approval. Wells in the area range from 200’-300’ deep. 3 Phase power is available on Hwy 60 and Single Phase is available on McVay Rd nearby.
1 1
Exceptionally drivable
100/100
Somewhat bikeable
20/100
Property Taxes
| Parcel Number | 305-18-018A | Improvements Assessment | $0 CAD |
| Land Assessment | $0 CAD | Total Assessment | $58,843 CAD |
Property Taxes
Parcel Number
305-18-018A
Land Assessment
$0 CAD
Improvements Assessment
$0 CAD
Total Assessment
$58,843 CAD
1 of 3
Videos
Matterport 3D Exterior
Matterport 3D Tour
Photos
Street View
Street
Map
1 of 1
Presented by
US-60 & McVay Rd - 30518018A
Already a member? Log In
Hmm, there seems to have been an error sending your message. Please try again.
Thanks! Your message was sent.
