Your email has been sent.
Victoria Rd - Vacant Land 1.8 Acres of Residential Land Offered at $830,028 CAD in Springfield Township, PA 19064

INVESTMENT HIGHLIGHTS
- Interstate Interchange location.
- Numerous dining options, including casual eateries, family restaurants, and coffee shops
- Within close proximity to Route 1, I-95 and I-476.
- Situated on a peaceful street in a desirable Springfield neighborhood
- Several SEPTA bus routes serve the area, offering convenient public transportation options.
EXECUTIVE SUMMARY
County seat of government is one mile west, Springfield Mall 1/4 mile northeast, I-95 three miles south, Philadelphia International Airport is ten minutes away, center city Philadelphia is within 20 minutes, Radnor/Conshohocken corporate centers 15 minutes north, King of Prussia/Valley Forge about 20 Minutes north and west.
PROPERTY FACTS
1 LOT AVAILABLE
Lot
| Price | $830,028 CAD | Lot Size | 1.80 AC |
| Price Per AC | $461,126.69 CAD |
| Price | $830,028 CAD |
| Price Per AC | $461,126.69 CAD |
| Lot Size | 1.80 AC |
All public utilities in surrounding streets with public water, sanitary, gas, electric, telephone and cable at site street fronts. Contingency sale OK. Licensed agent has an ownership interest in the real estate.
DESCRIPTION
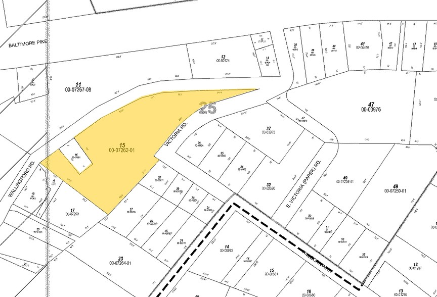
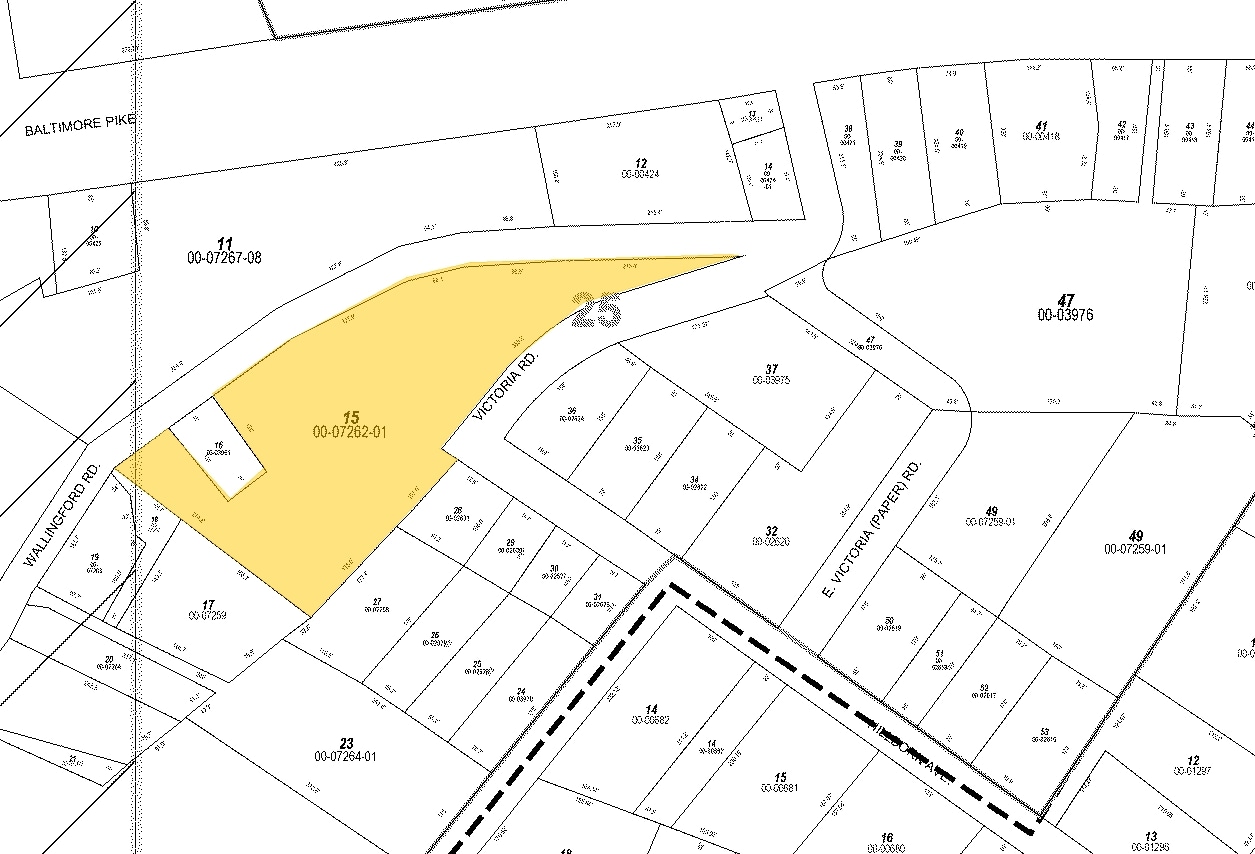
This 1.80-acre wooded parcel in Springfield Township, PA, offers a prime development opportunity at the intersection of Victoria Rd and Wallingford Rd, adjacent to Interchange #2 of I-476. Zoned RB (Residential Business), the site supports office and luxury residential uses, with the municipality open to multifamily, hotel, elderly housing, and commercial development. All public utilities are available at the street front, and the location provides excellent access to Springfield Mall, I-95, and Philadelphia International Airport. With proximity to major employment hubs like Center City, Radnor, and King of Prussia, the property is ideal for a range of high-value uses.
PROPERTY TAXES
| Parcel Number | 42-00-07262-01 | Improvements Assessment | $0 CAD |
| Land Assessment | $325,427 CAD | Total Assessment | $325,427 CAD |
PROPERTY TAXES
Presented by
Victoria Rd - Vacant Land
Hmm, there seems to have been an error sending your message. Please try again.
Thanks! Your message was sent.
