Log In/Sign Up
Your email has been sent.
W Avenue L/26th Stw - Lancaster 14.55 Acres, Residential 14.55 Acres of Residential Land Offered at $1,222,266 CAD in Lancaster, CA 93534



Executive Summary
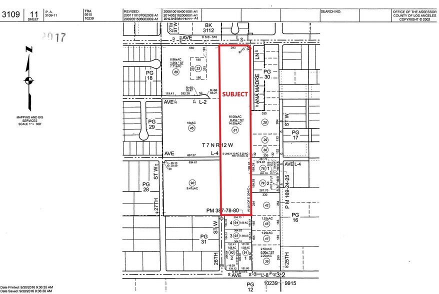
±14.55 acres of unimproved residential land for sale on W Ave L in Lancaster; APN: 3109-011-081. This lot has split zoning, with approximately 9.6 acres zoned Semi Rural Residential (SRR permitting 1 dwelling unit/20,000 sq ft) and the remainder zoned Rural Residential (RR-1 permitting 1 dwelling unit/40,000 sq ft). Preliminary conversations with the City indicate support for a full rezone to SRR to allow for harmonious zoning and additional unit density. Water, sewer, and power are all available at the site. Surrounding amenities for future residents include Costco, Target, Stater Bros Markets, Sprouts Farmers Market, Lowe’s Home Improvement, 24 Hour Fitness, Ross Dress for Less, Starbucks, Dave’s Hot Chicken, US Bank, and more. This site is adjacent to KB Home’s Primrose Community, an exciting expansion of new development that’s already sold more than half of the total lots! Buyer to verify all information contained herein. Agent and their representatives are not responsible for the accuracy of these claims
Property Facts
| Price | $1,222,266 CAD | Property Subtype | Residential |
| Sale Type | Investment or Owner User | Proposed Use | |
| No. Lots | 1 | Total Lot Size | 14.55 AC |
| Property Type | Land | ||
| Zoning | SRR | ||
| Price | $1,222,266 CAD |
| Sale Type | Investment or Owner User |
| No. Lots | 1 |
| Property Type | Land |
| Property Subtype | Residential |
| Proposed Use | |
| Total Lot Size | 14.55 AC |
| Zoning | SRR |
1 Lot Available
Lot
| Price | $1,222,266 CAD | Lot Size | 14.55 AC |
| Price Per AC | $84,004.51 CAD |
| Price | $1,222,266 CAD |
| Price Per AC | $84,004.51 CAD |
| Lot Size | 14.55 AC |
Residential land suitable for single family development Abundant amenities for future residents A growing Los Angeles community with lots of development activity Easy access to Hwy. 14 to access Antelope Valley, San Fernando Valley and Greater Los A
1 1
Fairly walkable
40/100
Exceptionally drivable
100/100
Limited public transit
30/100
Somewhat bikeable
30/100
Property Taxes
| Parcel Number | 3109-011-081 | Improvements Assessment | $0 CAD |
| Land Assessment | $921,681 CAD | Total Assessment | $921,681 CAD |
Property Taxes
Parcel Number
3109-011-081
Land Assessment
$921,681 CAD
Improvements Assessment
$0 CAD
Total Assessment
$921,681 CAD
1 of 5
Videos
Matterport 3D Exterior
Matterport 3D Tour
Photos
Street View
Street
Map
1 of 1
Presented by
W Avenue L/26th Stw - Lancaster 14.55 Acres, Residential
Already a member? Log In
Hmm, there seems to have been an error sending your message. Please try again.
Thanks! Your message was sent.
