Log In/Sign Up
Your email has been sent.
W Garfield Rd
Aurora, OH 44202
SWC BISSELL ROAD & W GARFIELD ROAD · Land For Sale
·
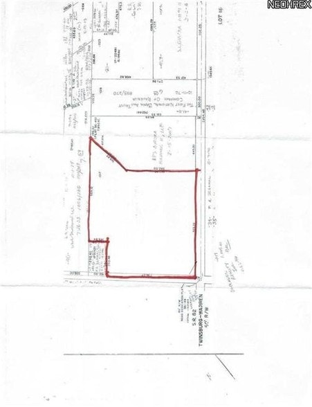
14.15 AC


Investment Highlights
- Prime High Visibility
- Convenient to Shopping
- Ideally Located for Commercial Property
Executive Summary
Prime High Visibility Corner Lot Now available – approximately 14.15 acres of C2-zoned commercial land ideally located at the corner of N Bissell Road and W Garfield Road in Aurora, Ohio. This strategic corner lot offers an excellent opportunity for developers and investors to build a wide range of commercial uses in a growing and desirable area. This Commercial Shopping District, supports the development of planned integrated groupings of retail, service, and professional establishments. The district is intended to provide both convenience and comparison shopping, as well as personal and business services for the surrounding community. The zoning requires parcels to be approx.10 acres, and at 14.15 acres, this lot meets the criteria and offers plenty of room for creativity and future expansion. The east corner of the lot is relatively flat, transitioning to a gentle elevation toward the northeast corner, adding interest and flexibility to the site plan. The land is mostly level with light rolling features, making it suitable for a variety of commercial structures including retail centers, restaurants, offices, and service-based businesses. This property represents a rare and valuable development opportunity in a location that continues to grow. Whether you're looking to build a shopping plaza, restaurant complex, or a mixed-use commercial hub, this land is ready for your vision. Contact us today to learn more or schedule a walk of the property.
Property Facts
| Sale Type | Investment or Owner User | Property Subtype | Commercial |
| Sale Condition | Build to Suit | Proposed Use | |
| No. Lots | 1 | Total Lot Size | 14.15 AC |
| Property Type | Land | ||
| Zoning | C2 | ||
| Sale Type | Investment or Owner User |
| Sale Condition | Build to Suit |
| No. Lots | 1 |
| Property Type | Land |
| Property Subtype | Commercial |
| Proposed Use | |
| Total Lot Size | 14.15 AC |
| Zoning | C2 |
1 Lot Available
Lot
| Price | $2,395,383 CAD | Lot Size | 14.15 AC |
| Price Per AC | $169,249.10 CAD |
| Price | $2,395,383 CAD |
| Price Per AC | $169,249.10 CAD |
| Lot Size | 14.15 AC |
Property Taxes
| Parcel Number | 03-017-00-00-017-000 | Improvements Assessment | $0 CAD |
| Land Assessment | $693,224 CAD | Total Assessment | $693,224 CAD |
Property Taxes
Parcel Number
03-017-00-00-017-000
Land Assessment
$693,224 CAD
Improvements Assessment
$0 CAD
Total Assessment
$693,224 CAD
1 of 13
Videos
Matterport 3D Exterior
Matterport 3D Tour
Photos
Street View
Street
Map
