Log In/Sign Up
Your email has been sent.
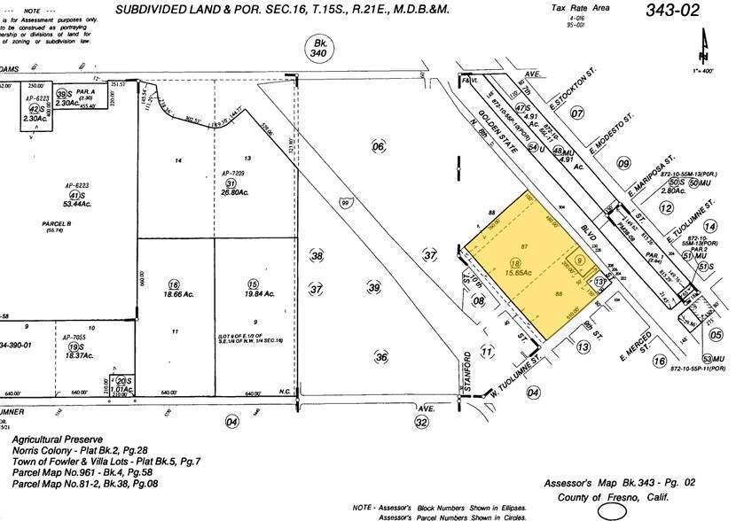
W Tuolumne St
Fowler, CA 93625
228 & 304 N 8th St, Fowler, CA. · Land For Sale
·
16.06 AC


EXECUTIVE SUMMARY
16.06 acres is available.
PROPERTY FACTS Under Contract
| Sale Type | Investment | Proposed Use | Commercial |
| No. Lots | 1 | Total Lot Size | 16.06 AC |
| Property Type | Land | Cross Streets | N 8th ST |
| Property Subtype | Commercial | Opportunity Zone |
Yes
|
| Zoning | C-2 - Commercial mixed use | ||
| Sale Type | Investment |
| No. Lots | 1 |
| Property Type | Land |
| Property Subtype | Commercial |
| Proposed Use | Commercial |
| Total Lot Size | 16.06 AC |
| Cross Streets | N 8th ST |
| Opportunity Zone |
Yes |
| Zoning | C-2 - Commercial mixed use |
1 LOT AVAILABLE
Lot
| Lot Size | 16.06 AC |
| Lot Size | 16.06 AC |
16.06 acres is available.
PROPERTY TAXES
| Parcel Numbers | Improvements Assessment | $0 CAD | |
| Land Assessment | $3,052,085 CAD | Total Assessment | $3,052,085 CAD |
PROPERTY TAXES
Parcel Numbers
Land Assessment
$3,052,085 CAD
Improvements Assessment
$0 CAD
Total Assessment
$3,052,085 CAD
1 of 9
VIDEOS
MATTERPORT 3D EXTERIOR
MATTERPORT 3D TOUR
PHOTOS
STREET VIEW
STREET
MAP
