Log In/Sign Up
Your email has been sent.
Executive Summary
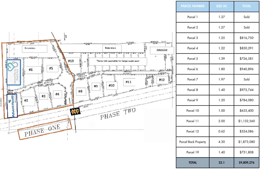
Hardee Crossing will be a major retail center in Wauchula. Located on US Highway 17, the major north south connector in Central Florida with a strong traffic count. Located just south of AdventHealth Hospital and Central Florida Health Care, Hardee Crossing offers prime opportunities for retail and medical development. Located at a major signalized intersection at Hwy 17 and Carlton Street. Infrastructure is in place with access, internal roads and utilities. 1- 6 acre outparcels available with excellent visibility and access in Phase 1. Phase 2 offers 1 to 17 acres for redevelopment. Perfect location for RETAIL, RESTUARANTS, GROCER, MEDICAL, HOTEL
Property Facts
4 Lots Available
Lot 3
| Lot Size | 1.26 AC |
| Lot Size | 1.26 AC |
Lot 4
| Lot Size | 1.22 AC |
| Lot Size | 1.22 AC |
Lot 5
| Lot Size | 1.39 AC |
| Lot Size | 1.39 AC |
Lot 6
| Lot Size | 1.80 AC |
| Lot Size | 1.80 AC |
1 1
Somewhat walkable
30/100
Exceptionally drivable
100/100
Not bikeable
10/100
1 of 7
Videos
Matterport 3D Exterior
Matterport 3D Tour
Photos
Street View
Street
Map
1 of 1
Presented by
Hardee Crossing
Already a member? Log In
Hmm, there seems to have been an error sending your message. Please try again.
Thanks! Your message was sent.



