Your email has been sent.
±1.7 Acre Development Site in West Fort Worth Westpoint Boulevard & Blue Haze Dr 1.78 Acres of Commercial Land for Lease in Fort Worth, TX 76108



Highlights
- Available For Ground Lease or Build-to-Suit
- Close proximity to 7,000-acre Walsh Ranch community
- Liberal zoning allows a variety of retail, office and service uses
- Easy access to Interstate 20, Interstate 30 and Interstate 820
- Prime development sites with ample frontage and access
- Rapid population growth
LOT Available
Display Rental Rate as
| Rental Rate |
|
Lot Size | 1.78 AC |
| Lease Term | Negotiable |
| Rental Rate | |
| Lease Term | Negotiable |
| Lot Size | 1.78 AC |
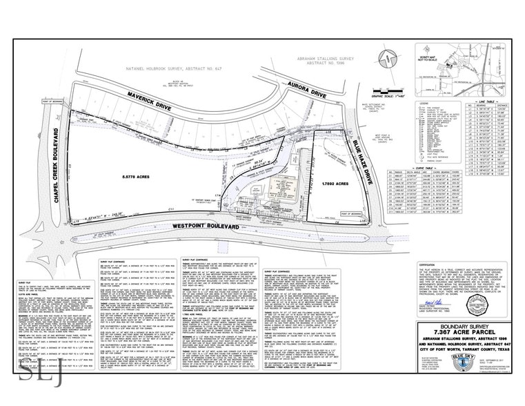
This Lot is Available For Ground Lease or Build-to-Suit. The adjacent ±5.5 acre site is also available. This lot has been platted.
Property Overview
SLJ Company, LLC (“SLJ”) has been exclusively retained to offer ±5.5 & ±1.7 Acre Development Sites in Fort Worth, Texas (the “Property”). The Property is located at the northeast corner of Westpoint Blvd. and Chapel Creek Blvd., and the northwest corner of Westpoint Blvd. and Blue Haze Dr. in the West Southwest Fort Worth Submarket. The Property is in close proximity to Interstate 20, Interstate 30, and Interstate 820. Additionally, the Property is just minutes from West Fort Worth’s new 7,000 acre Walsh Ranch community. The Property offers the opportunity to develop in an area with liberal zoning, ease of access and rapid population growth. No minerals are included in the proposed transaction.
Property Facts
| Total Space Available | 1.78 AC | Property Subtype | Commercial |
| Property Type | Land | Proposed Use | Commercial |
| Total Space Available | 1.78 AC |
| Property Type | Land |
| Property Subtype | Commercial |
| Proposed Use | Commercial |
Presented by
±1.7 Acre Development Site in West Fort Worth | Westpoint Boulevard & Blue Haze Dr
Hmm, there seems to have been an error sending your message. Please try again.
Thanks! Your message was sent.

