Log In/Sign Up
Your email has been sent.
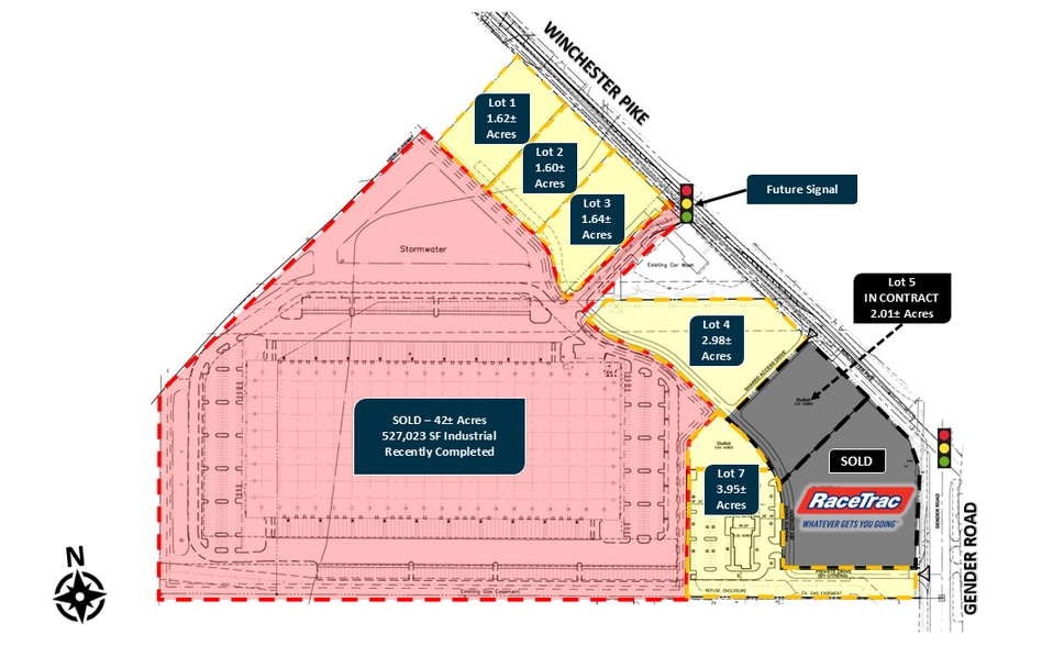
Winchester Pike
Canal Winchester, OH 43110
Land For Sale
·
13.80 AC


PROPERTY FACTS
| Sale Type | Investment | Property Subtype | Commercial |
| No. Lots | 6 | Proposed Use | |
| Property Type | Land | Total Lot Size | 13.80 AC |
| Zoning | Commercial - general commercial - retail | ||
| Sale Type | Investment |
| No. Lots | 6 |
| Property Type | Land |
| Property Subtype | Commercial |
| Proposed Use | |
| Total Lot Size | 13.80 AC |
| Zoning | Commercial - general commercial - retail |
6 LOTS AVAILABLE
Lot 1
| Price | $904,556 CAD | Lot Size | 1.62 AC |
| Price Per AC | $558,368.02 CAD |
| Price | $904,556 CAD |
| Price Per AC | $558,368.02 CAD |
| Lot Size | 1.62 AC |
1.62 acres at the edge of the lot. Ideal for restaurant or retail use.
Lot 2
| Price | $1,005,062 CAD | Lot Size | 1.60 AC |
| Price Per AC | $628,164.02 CAD |
| Price | $1,005,062 CAD |
| Price Per AC | $628,164.02 CAD |
| Lot Size | 1.60 AC |
1.60 acres located inline. Ideal for restaurant or retail use.
Lot 3
| Price | $1,144,654 CAD | Lot Size | 1.64 AC |
| Price Per AC | $697,960.02 CAD |
| Price | $1,144,654 CAD |
| Price Per AC | $697,960.02 CAD |
| Lot Size | 1.64 AC |
1.64 acres, Ideal for restaurant or retail use. Located at the corner with signalized intersection.
Lot 4
| Price | $1,871,929 CAD | Lot Size | 2.98 AC |
| Price Per AC | $628,164.02 CAD |
| Price | $1,871,929 CAD |
| Price Per AC | $628,164.02 CAD |
| Lot Size | 2.98 AC |
2.98 acres available next to a car wash. Ideal for restaurant or retail use.
Lot 5
| Lot Size | 2.01 AC |
| Lot Size | 2.01 AC |
2.01 acres. Ideal for restaurant or retail use. CURRENTLY IN CONTRACT
Lot 7
| Price | $1,378,471 CAD | Lot Size | 3.95 AC |
| Price Per AC | $348,980.01 CAD |
| Price | $1,378,471 CAD |
| Price Per AC | $348,980.01 CAD |
| Lot Size | 3.95 AC |
3.95 acres. Ideal for restaurant, retail, or hotel use.
1 of 4
VIDEOS
MATTERPORT 3D EXTERIOR
MATTERPORT 3D TOUR
PHOTOS
STREET VIEW
STREET
MAP
