Log In/Sign Up
Your email has been sent.
Wood Oak Cir - 50+ Residential Lots in Bleckley County 0.5 Acres of Residential Land Offered at $37,345 CAD in Cochran, GA 31014



Investment Highlights
- Corner lots available
- Close to Downtown Cochran
Executive Summary
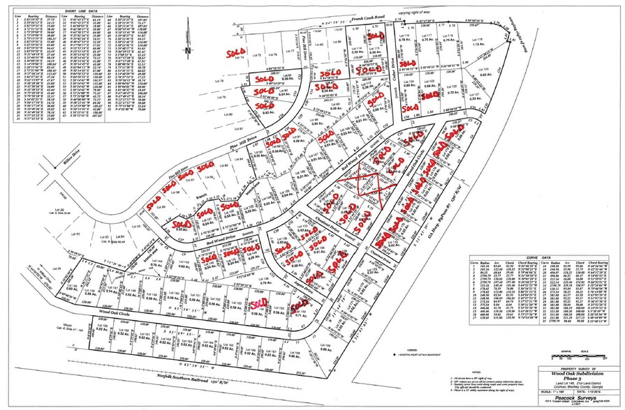
50 + Residential Lots available in Wood Oak Subdivision Phase 3
Lots sizes approximately +/- .50 acres. All Lots Are $27,500
See attached Plat in the documents for exact lot size
City Water & Sewer
Lots sizes approximately +/- .50 acres. All Lots Are $27,500
See attached Plat in the documents for exact lot size
City Water & Sewer
Property Facts
| Price | $37,345 CAD | Property Subtype | Residential |
| Sale Type | Investment or Owner User | Proposed Use | Single Family Development |
| No. Lots | 1 | Total Lot Size | 0.50 AC |
| Property Type | Land | ||
| Zoning | C1 - Commercial | ||
| Price | $37,345 CAD |
| Sale Type | Investment or Owner User |
| No. Lots | 1 |
| Property Type | Land |
| Property Subtype | Residential |
| Proposed Use | Single Family Development |
| Total Lot Size | 0.50 AC |
| Zoning | C1 - Commercial |
1 Lot Available
Lot various
| Price | $37,345 CAD | Lot Size | 0.50 AC |
| Price Per AC | $74,690.00 CAD |
| Price | $37,345 CAD |
| Price Per AC | $74,690.00 CAD |
| Lot Size | 0.50 AC |
50 + Residential Lots available in Wood Oak Subdivision Phase 3 Lots sizes approximately +/- .50 acres. All Lots Are $27,500 See attached Plat in the documents for exact lot size City Water & Sewer
1 1
Somewhat walkable
20/100
Exceptionally drivable
90/100
Somewhat bikeable
20/100
1 of 14
Videos
Matterport 3D Exterior
Matterport 3D Tour
Photos
Street View
Street
Map
1 of 1
Presented by
Wood Oak Cir - 50+ Residential Lots in Bleckley County
Already a member? Log In
Hmm, there seems to have been an error sending your message. Please try again.
Thanks! Your message was sent.
