Log In/Sign Up
Your email has been sent.
Property Facts
| Price | $266,027 CAD | Property Type | Land |
| Sale Type | Investment or Owner User | Property Subtype | Commercial |
| No. Lots | 1 | Total Lot Size | 3.00 AC |
| Price | $266,027 CAD |
| Sale Type | Investment or Owner User |
| No. Lots | 1 |
| Property Type | Land |
| Property Subtype | Commercial |
| Total Lot Size | 3.00 AC |
1 Lot Available
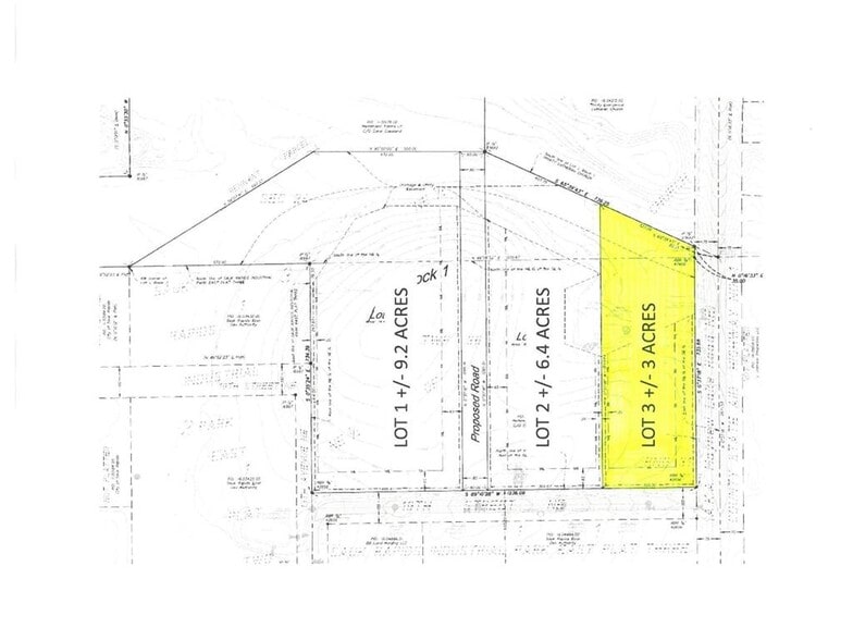
Lot 3
| Price | $266,027 CAD | Lot Size | 3.00 AC |
| Price Per AC | $88,675.60 CAD |
| Price | $266,027 CAD |
| Price Per AC | $88,675.60 CAD |
| Lot Size | 3.00 AC |
Description
Prime commercial land on Mayhew Lake Road. Bring your business plans to a growing community! Easy access to Highway 10 & 23. Can be combined with adjacent parcels if you need more acreage!
Somewhat walkable
20/100
Exceptionally drivable
100/100
Somewhat bikeable
30/100
1 of 4
Videos
Matterport 3D Exterior
Matterport 3D Tour
Photos
Street View
Street
Map
Presented by
xxx Lot 3
Already a member? Log In
Hmm, there seems to have been an error sending your message. Please try again.
Thanks! Your message was sent.




