Se Connecter/S’inscrire
Votre courriel a été envoyé.
0 Barnes Creek Rd
Owego, NY 13827
Terrain À vendre
·
4,16 AC


Certaines informations ont été traduites automatiquement.
Faits saillants de l'investissement
- Previously approved site for multi-family housing with utilities in place.
- Located across from Lockheed Martin and near NYS Route 86 for easy access.
- Close to historic Owego and regional amenities.
- Zoned residential with potential for subdivision into two parcels.
- Owner willing to provide design/build-to-suit services.
Résumé de l'annonce
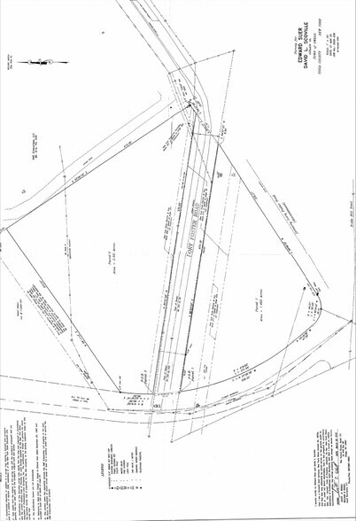
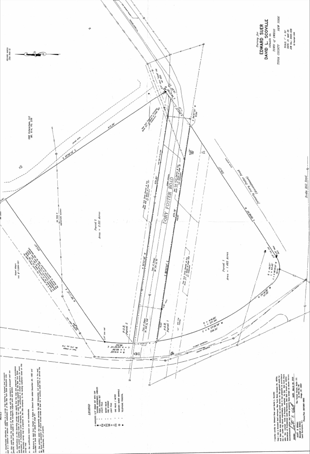
This 3.70-acre development property on Barnes Creek Road in Owego, NY offers a unique opportunity for residential development in a growing community. Zoned for residential use, the site was previously approved for multi-family housing and has utilities in place, streamlining the development process. The property can be subdivided into two parcels—1.47 acres to the south and 2.23 acres to the north—providing flexibility for phased development or separate sales.
Located across from Lockheed Martin and near NYS Route 86, the site benefits from excellent regional connectivity and proximity to the historic Owego district. The surrounding area offers a mix of residential neighborhoods, commercial services, and employment centers, making it an attractive location for future housing. The current owner is open to design/build-to-suit options, creating additional value for developers or investors seeking a tailored solution.
With a competitive asking price of $150,000 for the land, this property represents a cost-effective entry point for residential development in Tioga County.
Located across from Lockheed Martin and near NYS Route 86, the site benefits from excellent regional connectivity and proximity to the historic Owego district. The surrounding area offers a mix of residential neighborhoods, commercial services, and employment centers, making it an attractive location for future housing. The current owner is open to design/build-to-suit options, creating additional value for developers or investors seeking a tailored solution.
With a competitive asking price of $150,000 for the land, this property represents a cost-effective entry point for residential development in Tioga County.
Faits sur la propriété
| Type de vente | Investissement | Sous-type de propriété | Terrain commercial |
| Nombre de lots | 1 | Utilisation proposée | Multi-résidentiel |
| Type de propriété | Terrain | Taille totale du lot | 4,16 AC |
| Zonage | RC - Commerciale | ||
| Type de vente | Investissement |
| Nombre de lots | 1 |
| Type de propriété | Terrain |
| Sous-type de propriété | Terrain commercial |
| Utilisation proposée | Multi-résidentiel |
| Taille totale du lot | 4,16 AC |
| Zonage | RC - Commerciale |
1 Lot disponible
Lot
| Prix | 203 816 $ CAD | Taille du lot | 4,16 AC |
| Prix par AC | 48 994,11 $ CAD |
| Prix | 203 816 $ CAD |
| Prix par AC | 48 994,11 $ CAD |
| Taille du lot | 4,16 AC |
Description
La propriété comprend un terrain de 3,70 acres situé sur Barnes Creek Road à Owego, NY. Elle est zonée résidentielle et se trouve près de la route NYS 86, offrant une bonne connectivité régionale. Le site est en face de Lockheed Martin et à proximité du quartier d’affaires d’Owego. Les services publics sont disponibles sur place, et la propriété peut être subdivisée en deux parcelles.
Impôts fonciers
| Numéro de lot | 493089-118-000-0002-030-001-0000 | Évaluation des bâtiments | 0 $ CAD |
| Évaluation du terrain | 13 180 $ CAD | Évaluation totale | 13 180 $ CAD |
Impôts fonciers
Numéro de lot
493089-118-000-0002-030-001-0000
Évaluation du terrain
13 180 $ CAD
Évaluation des bâtiments
0 $ CAD
Évaluation totale
13 180 $ CAD
1 de 3
Vidéos
Visite extérieure 3D Matterport
Visite 3D Matterport
Photos
Vue depuis la rue
Rue
Carte
