Se Connecter/S’inscrire
Votre courriel a été envoyé.
1.28 Ac SEC N. Eldridge & Cypress N Houston 0 Cypress N Houston Terrain à louer de 1,28 acres • Terrain commercial • Houston, TX 77065



Certaines informations ont été traduites automatiquement.
LOT Disponible
Afficher les taux de location en
| Taux de location |
|
Taille du lot | 1,28 AC |
| Durée du bail | Négociable |
| Taux de location | |
| Durée du bail | Négociable |
| Taille du lot | 1,28 AC |
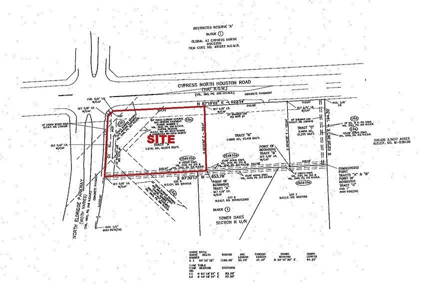
Property Highlights: • Outstanding Ground Lease or Build-to-Suit Opportunity in Rapidly Expanding Cypress Texas • Located on the southeast corner of North Eldridge Parkway at Cypress North Houston Rd; between Grant Rd and FM 1960 • Excellent Corner Tract with Great Visibility & Approximately 190 Feet of Frontage on North Eldridge Parkway & 287 Feet of Frontage on Cypress North Houston Road • In High Density Residential & Commercial populated Area with Easy Access to Freeways & Retail • Average Traffic of over 23,000 Vehicles Per Day on Cypress North Houston & Over 17,000 Vehicles Per Day on North Eldridge • Situated in Harris County & Cy-Fair ISD • Total Tax Rate for 2019: $2.56 per $100.00 of Assessed Value • Utilities Available • Full Demographic Package Available
Faits sur la propriété
| Superficie totale disponible | 1,28 AC | Sous-type de propriété | Terrain commercial |
| Type de propriété | Terrain | Utilisation proposée | Commercial |
| Superficie totale disponible | 1,28 AC |
| Type de propriété | Terrain |
| Sous-type de propriété | Terrain commercial |
| Utilisation proposée | Commercial |
1 1
1 de 5
Vidéos
Visite extérieure 3D Matterport
Visite 3D Matterport
Photos
Vue depuis la rue
Rue
Carte
1 de 1
Présenté par
1.28 Ac SEC N. Eldridge & Cypress N Houston | 0 Cypress N Houston
Vous êtes déjà membre? Connectez-vous
Hmm, il semble y avoir eu une erreur lors de l’envoi de votre message. Veuillez réessayer.
Merci! Votre message a été envoyé.
Votre message a été envoyé !
Activez votre compte LoopNet dès maintenant pour suivre les propriétés, recevoir des alertes en temps réel, gagner du temps sur vos demandes futures et bien plus encore.
