Se Connecter/S’inscrire
Votre courriel a été envoyé.
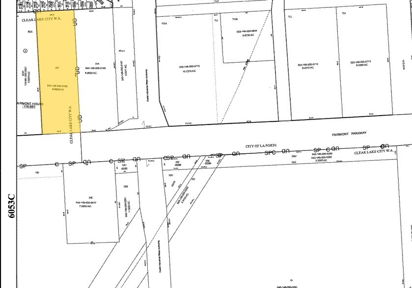
0 Fairmont Pky Lot • Terrain commercial • 6,68 Acres • 1 648 123 $ CAD • La Porte, TX 77571



Certaines informations ont été traduites automatiquement.
Résumé de l'annonce
Great Investment Opportunity
Demand is High but Enjoys yesterday's PSF Rates
Utilities Available with Extensions
R-2 Zoning Unlocks various development paths
Subject to La Porte Zoning
Motivated Seller
City of La Porte has indicated a wiliness to consider zoning Change to Commercial on per case basis
Demand is High but Enjoys yesterday's PSF Rates
Utilities Available with Extensions
R-2 Zoning Unlocks various development paths
Subject to La Porte Zoning
Motivated Seller
City of La Porte has indicated a wiliness to consider zoning Change to Commercial on per case basis
Faits sur la propriété
1 Lot disponible
Lot
| Prix | 1 648 123 $ CAD | Taille du lot | 6,68 AC |
| Prix par AC | 246 724,95 $ CAD |
| Prix | 1 648 123 $ CAD |
| Prix par AC | 246 724,95 $ CAD |
| Taille du lot | 6,68 AC |
Commercial / R- 2 Zoning Tract Beautiful Rectangular Shape Parcel with 300' FT Frontage Adjoins Parson's House Assisted Living Facility
Description
Terrain commercial rectangulaire Services publics disponibles avec extensions Adjacent à l'établissement de soins assistés Parson's Living
1 1
Impôts fonciers
| Numéro de lot | 0431480000160 | Évaluation des bâtiments | 0 $ CAD |
| Évaluation du terrain | 884 475 $ CAD | Évaluation totale | 884 475 $ CAD |
Impôts fonciers
Numéro de lot
0431480000160
Évaluation du terrain
884 475 $ CAD
Évaluation des bâtiments
0 $ CAD
Évaluation totale
884 475 $ CAD
1 de 4
Vidéos
Visite extérieure 3D Matterport
Visite 3D Matterport
Photos
Vue depuis la rue
Rue
Carte
1 de 1
Présenté par
Smith Raines Company
0 Fairmont Pky
Vous êtes déjà membre? Connectez-vous
Hmm, il semble y avoir eu une erreur lors de l’envoi de votre message. Veuillez réessayer.
Merci! Votre message a été envoyé.
Votre message a été envoyé !
Activez votre compte LoopNet dès maintenant pour suivre les propriétés, recevoir des alertes en temps réel, gagner du temps sur vos demandes futures et bien plus encore.
