Votre courriel a été envoyé.
0 Harding Hwy - 96.00 Acres Lot • Terrain commercial • 96 Acres • 2 051 400 $ CAD • Pittsgrove Township Salem, NJ 08318



Certaines informations ont été traduites automatiquement.
Faits saillants de l'investissement
- Autoroute principale
- 96 acres
- Potentiel d'utilisation mixte
Faits sur la propriété
| Prix | 2 051 400 $ CAD | Sous-type de propriété | Terrain commercial |
| Type de vente | Investissement | Utilisation proposée | |
| Nombre de lots | 1 | Taille totale du lot | 96,00 AC |
| Type de propriété | Terrain |
| Prix | 2 051 400 $ CAD |
| Type de vente | Investissement |
| Nombre de lots | 1 |
| Type de propriété | Terrain |
| Sous-type de propriété | Terrain commercial |
| Utilisation proposée | |
| Taille totale du lot | 96,00 AC |
1 Lot disponible
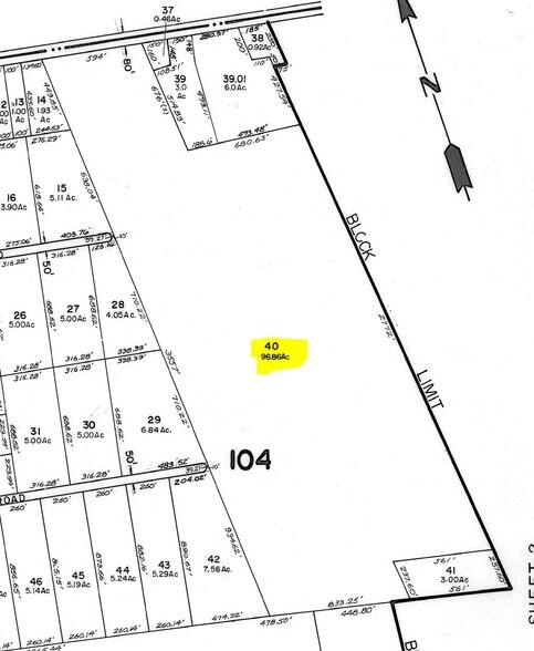
Lot 40
| Prix | 2 051 400 $ CAD | Taille du lot | 96,00 AC |
| Prix par AC | 21 368,75 $ CAD |
| Prix | 2 051 400 $ CAD |
| Prix par AC | 21 368,75 $ CAD |
| Taille du lot | 96,00 AC |
96 +/- ACRES avec façade sur la Rt 40 alias Harding Highway. Cette parcelle a fait l'objet d'une approbation préliminaire pour 2 lots commerciaux et 22 lots résidentiels unifamiliaux à bâtir. Zonage prévu des entreprises routières sur la façade de 594 pieds. Près de la rue 55.
Description
96 +/- ACRES avec façade sur la route 40 alias Harding Highway. Cette parcelle avait déjà fait l'objet d'une approbation préliminaire pour 2 lots commerciaux et 22 lots résidentiels unifamiliaux à bâtir. Zonage planifié des activités routières sur la façade de 594 pieds. Propriété est à quelques minutes de Rt 55
Présenté par
0 Harding Hwy - 96.00 Acres
Hmm, il semble y avoir eu une erreur lors de l’envoi de votre message. Veuillez réessayer.
Merci! Votre message a été envoyé.
