Se Connecter/S’inscrire
Votre courriel a été envoyé.
Certaines informations ont été traduites automatiquement.
Résumé de l'annonce
Propriété sans restriction prête à être construite. Nous avons maintenant un locataire mensuel sur un mois. Appelez pour plus d'informations
Faits sur la propriété
1 Lot disponible
Lot
| Prix | 816 702 $ CAD | Taille du lot | 0,53 AC |
| Prix par AC | 1 540 947,23 $ CAD |
| Prix | 816 702 $ CAD |
| Prix par AC | 1 540 947,23 $ CAD |
| Taille du lot | 0,53 AC |
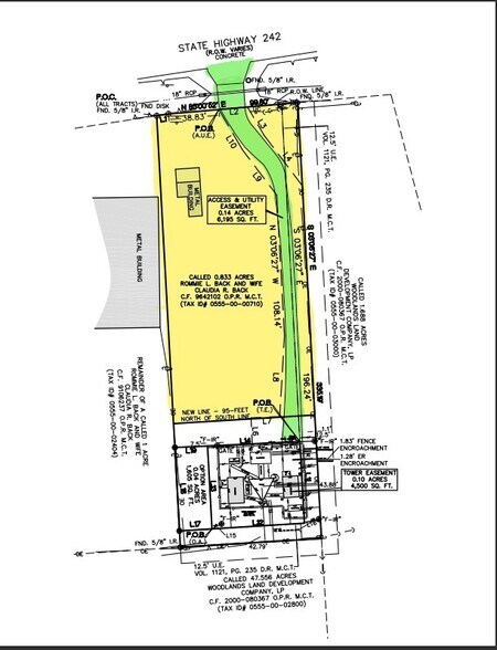
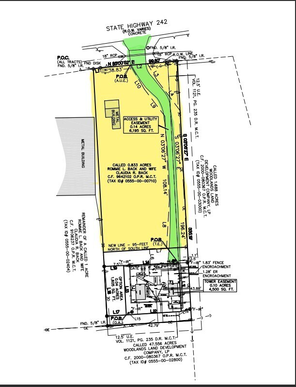
La tour cellulaire n'est pas incluse dans la vente environ 0,53 acre disponible.
Description
Endroit incroyable accès à I-45 appeler pour plus de détails.
1 1
Impôts fonciers
| Numéro de lot | 0555-00-00710 | Évaluation des bâtiments | 18 141 $ CAD |
| Évaluation du terrain | 381 321 $ CAD | Évaluation totale | 399 462 $ CAD |
Impôts fonciers
Numéro de lot
0555-00-00710
Évaluation du terrain
381 321 $ CAD
Évaluation des bâtiments
18 141 $ CAD
Évaluation totale
399 462 $ CAD
1 de 22
Vidéos
Visite extérieure 3D Matterport
Visite 3D Matterport
Photos
Vue depuis la rue
Rue
Carte
1 de 1
Présenté par
0 Highway 242
Vous êtes déjà membre? Connectez-vous
Hmm, il semble y avoir eu une erreur lors de l’envoi de votre message. Veuillez réessayer.
Merci! Votre message a été envoyé.
Votre message a été envoyé !
Activez votre compte LoopNet dès maintenant pour suivre les propriétés, recevoir des alertes en temps réel, gagner du temps sur vos demandes futures et bien plus encore.



