Votre courriel a été envoyé.
0 Just Imagine Drive - Avon Development Sites +/- 1.0 - 2.0 Acres Lots • Terrain commercial • 1,74-2 Acre • Avon, OH 44011



Certaines informations ont été traduites automatiquement.
Faits saillants de l'investissement
- Corridor en développement rapide du chemin Chester à la sortie de l'I-90 ; sortie du chemin Nagel
- 66 000 employés et 4 500 entreprises dans un rayon de 5 milles
- Étapes du développement prévu du nouveau Nagel Crossing
- 77 000 VPD (I-90) et 16 000 VPD (chemin Nagel)
- Revenu médian HH 106 346$ (3 mi.) et 95 126$ (5 mi.)
- À moins de 3 milles de plusieurs autres centres commerciaux et commerciaux, y compris Crocker Park, Avon Commons et Avon Crossing
Résumé de l'annonce
Par Nagel Crossing, nouveau développement prévu comprenant Starbucks, Chipotle, Noodles & Co., et plus encore. New Top Golf, Dick's Sporting Goods et Cooper's Hawk Winery sont prévus à 2,5 milles à l'ouest sur Chester Road.
Entouré de plusieurs des plus grands employeurs de la région (usine d'assemblage Ford Ohio, Cleveland Clinic, Jenne Distributors, Shurtape Technologies & Duck Brand World Headquarters, etc.).
Avon est l'une des villes à la croissance la plus rapide du nord-est de l'Ohio avec une croissance continue et des tendances positives en matière de développement économique et commercial.
Faits sur la propriété
2 Lots disponibles
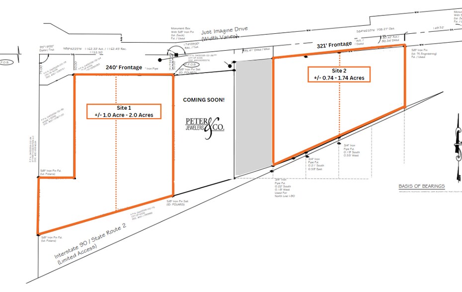
Lot 1
| Taille du lot | 2,00 AC |
| Taille du lot | 2,00 AC |
Lot 2
| Taille du lot | 1,74 AC |
| Taille du lot | 1,74 AC |
Description
Deux sites de développement routier près de l'I-90 sur le chemin Nagel, dans un corridor en expansion majeure, en face de l'hôpital Cleveland Clinic Avon Hospital et du Residence Inn et adjacent à GetGo. À quelques pas de Nagel Crossing, d'un nouveau projet de développement prévu comprenant Starbucks, Chipotle, Noodles & Co., et plus encore. New Top Golf, Dick's Sporting Goods et Cooper's Hawk Winery sont prévus à 1,5 milles à l'ouest sur Chester Road. Entouré de plusieurs des plus grands employeurs de la région (usine d'assemblage Ford Ohio, Cleveland Clinic, Jenne Distributors, Shurtape Technologies & Duck Brand World Headquarters, etc.). Avon est l'une des villes à la croissance la plus rapide du nord-est de l'Ohio, avec une croissance continue et des tendances positives en matière de développement économique et commercial.
Impôts fonciers
| Numéros de lot | Évaluation des bâtiments | 0 $ CAD | |
| Évaluation du terrain | 513 463 $ CAD | Évaluation totale | 513 463 $ CAD |
Impôts fonciers
Présenté par
0 Just Imagine Drive - Avon Development Sites +/- 1.0 - 2.0 Acres
Hmm, il semble y avoir eu une erreur lors de l’envoi de votre message. Veuillez réessayer.
Merci! Votre message a été envoyé.
