Se Connecter/S’inscrire
Votre courriel a été envoyé.
Certaines informations ont été traduites automatiquement.
Faits saillants de l'investissement
- Located in Northwest Houston with quick access to Grand Parkway and Highway 290
Résumé de l'annonce
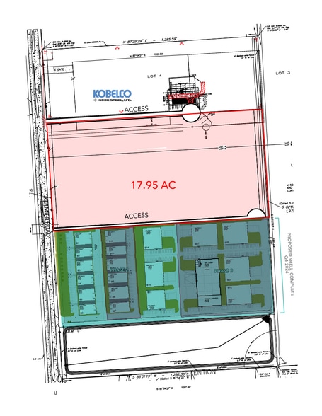
Terrain : ±17,95 AC prêt à la pelle (divisible)
Services publics : puits et fosse septique
Détention : Détention hors site
Plaine inondable : Aucune
Taux d'imposition : 1.928 % taux d'imposition
Façade : route à quatre voies accessible par camion avec voie de virage à gauche réservée
Emplacement : Situé dans le nord-ouest de Houston avec un accès rapide à Grand Parkway et à l'autoroute 290
Tarification : Appelez pour plus d'informations -
Conçus selon les besoins et conception
possibilités offertes
Services publics : puits et fosse septique
Détention : Détention hors site
Plaine inondable : Aucune
Taux d'imposition : 1.928 % taux d'imposition
Façade : route à quatre voies accessible par camion avec voie de virage à gauche réservée
Emplacement : Situé dans le nord-ouest de Houston avec un accès rapide à Grand Parkway et à l'autoroute 290
Tarification : Appelez pour plus d'informations -
Conçus selon les besoins et conception
possibilités offertes
Faits sur la propriété
| Type de vente | Investissement | Sous-type de propriété | Terrain commercial |
| Conditions de vente | Utilisation proposée | Commercial | |
| Nombre de lots | 1 | Taille totale du lot | 17,95 AC |
| Type de propriété | Terrain |
| Type de vente | Investissement |
| Conditions de vente | |
| Nombre de lots | 1 |
| Type de propriété | Terrain |
| Sous-type de propriété | Terrain commercial |
| Utilisation proposée | Commercial |
| Taille totale du lot | 17,95 AC |
1 Lot disponible
Lot
| Taille du lot | 17,95 AC |
| Taille du lot | 17,95 AC |
Terrain : ±17,95 AC prêt pour la pelle (divisible) Services publics : puits et fosse septique Détention : Détention hors site
Impraticable à pied
10/100
Exceptionnellement facile d’accès en voiture
100/100
Plutôt praticable en vélo
40/100
1 de 4
Vidéos
Visite extérieure 3D Matterport
Visite 3D Matterport
Photos
Vue depuis la rue
Rue
Carte
Présenté par
0 Kermier Road - Kermier Commerce Park
Vous êtes déjà membre? Connectez-vous
Hmm, il semble y avoir eu une erreur lors de l’envoi de votre message. Veuillez réessayer.
Merci! Votre message a été envoyé.




