Se Connecter/S’inscrire
Votre courriel a été envoyé.
0 Kings Hwy
King George, VA 22485
Beaver Creek · Terrain À vendre
·
47,74 AC


Certaines informations ont été traduites automatiquement.
Faits saillants de l'investissement
- Potentiel énorme
- Prix de vente
Résumé de l'annonce
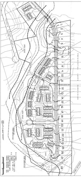
47,74 acres de terrain prêts à être aménagés pour la construction de maisons. Plan préliminaire de site réalisé pour 111 maisons de ville et 28 maisons unifamiliales. À côté de la route 3. Zonés R3 et R1. Appelez pour plus de détails.
Près de la promenade Francis Folsom par la route 3 dans le comté de King George.
Près de la promenade Francis Folsom par la route 3 dans le comté de King George.
Faits sur la propriété Sous contrat
| Type de vente | Investissement | Utilisation proposée | Développement familial unique |
| Nombre de lots | 1 | Taille totale du lot | 47,74 AC |
| Type de propriété | Terrain | Rues transversales | Dolley''s Ct. |
| Sous-type de propriété | Résidentiel | ||
| Zonage | R-1 | ||
| Type de vente | Investissement |
| Nombre de lots | 1 |
| Type de propriété | Terrain |
| Sous-type de propriété | Résidentiel |
| Utilisation proposée | Développement familial unique |
| Taille totale du lot | 47,74 AC |
| Rues transversales | Dolley''s Ct. |
| Zonage | R-1 |
1 Lot disponible
Lot
| Prix | 1 250 730 $ CAD | Taille du lot | 47,74 AC |
| Prix par AC | 26 198,79 $ CAD |
| Prix | 1 250 730 $ CAD |
| Prix par AC | 26 198,79 $ CAD |
| Taille du lot | 47,74 AC |
47.74 acres of land ready to develop for houses.
Description
47.74 Acres located just off Route 3
Impôts fonciers
| Numéro de lot | 23-28 | Évaluation des bâtiments | 0 $ CAD |
| Évaluation du terrain | 326 315 $ CAD | Évaluation totale | 326 315 $ CAD |
Impôts fonciers
Numéro de lot
23-28
Évaluation du terrain
326 315 $ CAD
Évaluation des bâtiments
0 $ CAD
Évaluation totale
326 315 $ CAD
1 de 3
Vidéos
Visite extérieure 3D Matterport
Visite 3D Matterport
Photos
Vue depuis la rue
Rue
Carte
